Карибское море
Кари́бское мо́ре (исп. Mar Caribe, англ. Caribbean Sea, гаит. креольск. Lamè Karaïb, фр. Mer des Caraïbes, папьям. Laman Karibe, нидерл. Caraibische Zee) — окраинное[1] полузамкнутое море[2] бассейна Атлантического океана, с запада и юга ограничено Центральной и Южной Америкой, с севера и востока — Большими и Малыми Антильскими островами. На северо-западе через Юкатанский пролив соединено с Мексиканским заливом, на юго-западе — с Тихим океаном через искусственный Панамский канал.
| Карибское море | |
|---|---|
![]() Пляж на острове Ларго-дель-Сур | |
| Характеристики | |
| Площадь | 2 753 000 км² |
| Объём | 6 860 000 км³ |
| Наибольшая глубина | 7686 м |
| Средняя глубина | 2500 м |
| Расположение | |
| 14°31′32″ с. ш. 75°49′06″ з. д. | |
Карибское море лежит между 9° и 22° с. ш. и между 89° и 60° з. д., его площадь составляет примерно 2 753 000 км²[3]. На юге оно омывает Венесуэлу, Колумбию и Панаму, на западе — Коста-Рику, Никарагуа, Гондурас, Гватемалу, Белиз и мексиканский полуостров Юкатан, на севере — Кубу, Гаити, Ямайку и Пуэрто-Рико; на востоке — государства Малых Антильских островов (см. список стран Карибского бассейна).
Название и история

В истории доколумбова заселения островов Карибского моря выделяют три группы народов. Народы первой группы (палеоиндейцы) пришли на острова в 5000—2000 годах до н. э. из Центральной или Южной Америки. Следующая группа, мигрировавшая в 1000—500 годах до н. э. из Южной Америки на Большие Антильские острова и остров Тринидад, создала месоиндейскую или сибонейскую культуру. Третьей группой народов, которые появились в регионе, были таино, пришедшие в 300 году до н. э. из Южной Америки на остров Тринидад и оттуда заселившие Малые и Большие Антильские острова, а затем карибы, мигрировавшие после 1000 года н. э. из района дельты Ориноко и вытеснившие аравакоговорящих индейцев с Тринидада и Малых Антильских островов[4].
Последняя группа народов и дала современное название моря в период его открытия европейцами в XV веке[5]. Поначалу испанские завоеватели исказили название этих племён и стали называть их «каннибалами»[6]. Новые земли, которые были названы Вест-Индия, также часто именовались испанцами Антильским морем, поэтому в некоторых европейских языках также используется это название[7].
Колонизация

Когда испанцы прибыли на Антильские острова, они были заселены индейцами таино, которые примерно в I веке до н. э. мигрировали туда из Южной Америки. В 1492 году первая экспедиция Христофора Колумба высадилась на Багамах, пребывая в полной уверенности, что ими был открыт новый путь в Азию. На острове, получившем название Эспаньола (ныне Гаити), было основано первое испанское поселение, положившее начало вековому господству Испании в регионе. С 1506 по 1511 годы с участием Эрнана Кортеса и Диего Веласкеса де Куэльяр острова Эспаньола и Куба были завоёваны, а местное население превращено в рабов. В 1517 году Франциско Эрнандес де Кордова открыл полуостров Юкатан, где испанцы впервые встретились с развитой цивилизацией майя. Последовавшие затем экспедиции Хуана де Грихальва (1518) и Эрнана Кортеса (1519) положили начало завоеванию и колонизации Мексики.
Другие европейские империи также стали расширяться на запад, направляя корабли в Новый Свет. Первые британские колонии появились на Бермудских островах (1612), островах Сент-Китс (1623) и Барбадос (1627) и были затем использованы для колонизации других островов. Французская Вест-Индия также началась с острова Сент-Китс (1624), затем были основаны поселения на островах Гваделупа и Мартиника (1635). Британия и Франция также успешно отвоёвывали острова у слабеющей Испанской империи: в 1655 году под контролем англичан оказалась Ямайка, а в 1697 году французы захватили западную часть Эспаньолы. В XVII веке на островах Кюрасао, Святого Мартина, Аруба и ряде других появились голландские колонии, позже вошедшие в состав Нидерландских Антильских островов. Датские владения в регионе появились в 1672 году на островах Сент-Джон и Сент-Томас.
Европейские державы активно завозили африканских рабов и вывозили продукцию сельского хозяйства (табак, сахар, красители) и драгоценные металлы (золото и серебро), используя для этого даже специальные флотилии. Регион Карибского моря превратился в площадку торговли новыми для Европы товарами, что повлекло развитие пиратства.
Пиратство

Пиратство в Карибском море зародилось в XVII веке, основными центрами сбора пиратов, корсаров и буканьеров стали остров Тортуга и город Порт-Ройял. Одним из первых каперов на службе Королевы Великобритании был Фрэнсис Дрейк, наиболее известный захватом испанского Серебряного каравана в порту Номбре-де-Диос в 1572 году. Его дело продолжил Генри Морган, который предпринял в 1671 году известный поход на Панаму и стал позднее вице-губернатором Ямайки.
Расцвет пиратства пришёлся на 1700—1730 годы — это время называют золотым веком пиратства. За этот период прославились Чёрная Борода и Стид Боннет, действовавшие в Карибском море в 1716—1718 годах, а также Чарльз Вейн, чья карьера длилась с 1716 по 1719 годы. Прославленный Чёрный Барт, а также Джек Рэкхем и его подруги Энн Бонни и Мэри Рид орудовали в Вест-Индии до 1720 года. Важным источником сведений о биографии этих и других пиратов является книга Чарльза Джонсона, которая вышла в 1724 году под названием «Всеобщая история грабежей и смертоубийств, учинённых самыми знаменитыми пиратами»[8].
Среди поздних пиратов выделяется Роберто Кофреси, промышлявший в Карибском регионе в 1818—1825 годах.
Постколониальный период

С XIX века начинается выход колониальных стран из империй. В результате восстания рабов французская колония Сан-Доминго первой получила независимость в 1804 году. Оставшаяся часть Эспаньолы была завоёвана гаитянами в 1821 году, но в 1844 году на этой территории сформировалась Доминиканская Республика. После серии войн Куба при вмешательстве США получила независимость от Испании в 1898 году, а остров Пуэрто-Рико перешёл к Соединённым Штатам Америки, которые начали играть доминирующую роль в регионе. В 1903 году при участии США после отделения Панамы от Колумбии был построен Панамский канал, связавший Карибское море с Тихим океаном. Он был открыт 15 августа 1914 года и находился под управлением США до 31 декабря 1999 года. В 1917 году Дания продала свои владения США, и они получили название Американские Виргинские острова. В период с 1958 по 1962 годы большая часть контролируемых Великобританией земель были выделены в Федерацию Вест-Индии, которая затем распалась на отдельные государства.
12 декабря 2001 года главы государств и правительств стран-членов Ассоциации карибских государств, собравшиеся на острове Маргарита (Венесуэла), приняли «Маргаритскую декларацию», которая признаёт Карибское море общим наследием и бесценным активом, а также задаёт направление сотрудничеству стран в вопросах торговли, туризма, транспорта и ликвидации последствий стихийных бедствий[9]. 29 июля 2005 года на встрече в Панаме члены ассоциации подтвердили свои намерения.
История исследования

Основные географические характеристики региона были изучены Христофором Колумбом в ходе его путешествий. За первые две экспедиции (1492 и 1493 гг.) им были открыты Багамские, Большие Антильские и северные острова Малой Антильской дуги. Третья экспедиция (1498) открыла остров Тринидад и залив Пария. Четвёртую экспедицию, которая длилась с 1502 по 1504 годы и стала для Колумба последней, мореплаватель направил дальше на запад в попытках отыскать проход в Индийский океан. За время этого путешествия были исследованы берега Гондураса, Москитов, Коста-Рики и Панамского перешейка, а также залив Москитос и северная часть Дарьенского залива[10][11]. Хуан де ла Коса, командовавший одним из кораблей первой экспедиции, по результатам путешествий Колумба, Америго Веспуччи (1497, 1498), а также Джона и Себастьяна Каботы (1497, 1498) составил в 1500 году первую карту Нового Света[12].

Продолжая исследования новых земель, испанский конкистадор Алонсо де Охеда открыл в 1499 году остров Кюрасао и озеро Маракайбо[13], а экспедиция под руководством Родриго де Бастидаса и Васко Нуньеса де Бальбоа исследовала устье реки Магдалены и около 1000 км побережья, включая Дарьенский залив и залив Ураба[14]. В 1507 году Мартин Вальдземюллер по результатам исследований составил свой вариант карты мира, в котором впервые появилось название «Америка». Немного позже, в 1538 году, фламандский картограф Герард Меркатор издал карту, на которой весь новый континент именовался Америкой[15].
Значительный вклад в изучение природы Карибского моря в конце XVII века внёс английский буканир и исследователь Уильям Дампир[3]. Немецкий путешественник и исследователь Александр фон Гумбольдт посвятил несколько лет (1799—1804) изучению географических, геологических, климатических и биологических характеристик региона.
В 1856 году во французском навигационном руководстве появилась точная карта Карибского моря, включавшая схему господствующих течений[16]. В 1873 году Карибское море изучалось в ходе британской экспедиции «Челленджера», после чего в 1877—1889 годах этот район более подробно исследовался американцами[3]. В период с 1972 по 1978 годы сотрудники NOAA провели точные сонарные измерения и составили первую современную батиметрическую карту Карибского моря и Мексиканского залива[17].
Датские и американские экспедиции с 1913 по 1930-е годы, включая исследования, проведённые Океанографическим институтом в Вудс-Холле с помощью корабля «англ. Атлантис» в 1934 году[15], положили начало систематическому изучению бассейна Карибского моря, которое продолжается по сей день. Появление в арсенале учёных акваланга и исследовательских субмарин привело к увеличению научной активности во второй половине XX века[3].
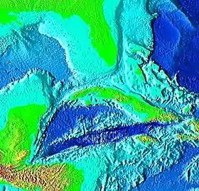
Геологическая обстановка
.png.webp)
Море располагается на Карибской литосферной плите и, являясь одним из крупнейших морей переходной зоны, отделена от океана несколькими разновозрастными островными дугами. Самая молодая из них проходит по Малым Антильским островам от Виргинских островов на северо-востоке до острова Тринидад у берегов Венесуэлы. Эта дуга образовалась при столкновении Карибской плиты с Южно-Американской плитой и включает в себя действующие и потухшие вулканы, такие как Монтань-Пеле, Квилл и вулканы национального парка Морн-Труа-Питон. Крупные острова в северной части моря (Куба, Гаити, Ямайка, Пуэрто-Рико) лежат на более старой островной дуге, к северу от которой уже сформировалась материковая и субматериковая земная кора. Дуга с юга от Кубы, выраженная горами Сьерра-Маэстра, подводным Каймановым хребтом, и одноимённым жёлобом, также относительно молода. В жёлобе Кайман находится самая глубокая из известных точек Карибского моря — 7686 м ниже уровня моря[5].
Геологический возраст Карибского моря с достоверностью не установлен. Предполагается, что древний протокарибский бассейн существовал в Девонском периоде[3]. В раннем Карбоне, по мере движения Гондваны на север и её сближения с Лавруссией, бассейн уменьшался в размерах и окончил существование в среднем Карбоне. Следующий этап формирования современного Карибского бассейна начался в Триасе. Мощный рифтогенез привёл к образованию узких прогибов, протянувшихся от современного Ньюфаундленд до западного побережья Мексиканского залива, в которых формировались терригенные морские осадки[18].
В ранней Юре вследствие мощной трансгрессии во́ды Неотетиса прорвались в область современного Мексиканского залива, создав здесь обширный мелководный бассейн. Возникновение глубоких котловин Карибского бассейна произошло в эпоху среднеюрского рифтогенеза[19]. Возникновение этих бассейнов ознаменовало начало раскрытия Атлантического океана и способствовало деструкции Пангеи II в конце поздней Юры. На протяжении Мелового периода Карибское море приобрело очертания, близкие к современным. В раннем Палеогене, в результате мощной регрессии моря Карибское море было обособлено от Мексиканского залива и Атлантики участком суши, образованным островами Куба и Гаити и поднявшимися более низкими участками суши. В таком внутриконтинентальном положении Карибское море пребывало большую часть Кайнозоя вплоть до Голоцена, когда поднявшийся уровень вод Мирового океана восстановил сообщение Карибского моря с Атлантическим океаном[20].

Дно Карибского моря сложено корой субокеанического типа и заполнено донными отложениями — красной глубоководной глиной в глубоких впадинах и желобах, известковыми фораминиферовыми илами на поднятиях и слабомарганцовистыми известковыми илами на хребтах и континентальных склонах. Глинистые минералы, скорее всего, были вынесены с континента реками Ориноко и Магдалена. Отложения на дне Карибского моря и Мексиканского залива имеют толщину около 1 км. Верхние осадочные слои относят к периоду от мезозоя до кайнозоя (250 млн лет назад — настоящее время), а нижние — к палеозою и мезозою. В процессе накопления седиментов выделяют три фазы, причём первые две происходили без деформаций Карибской плиты. В процессе первой фазы Центрально-Американское море (Карибское море и Мексиканский залив), вероятно, отделилось от Атлантического океана, к концу второй фазы небольшие смещения и деформации привели к образованию хребтов Авес и Беата. Панамский перешеек и Антильская островная дуга образовались в результате воздействия вертикальных сил, без горизонтального смещения. Толщина седиментов уменьшается от центра котловин к суше, хотя слои, сформировавшиеся в период кайнозоя (за последние 65 млн лет), по большей части плоские, поскольку образовались после возникновения деформаций. Проливы в Тихий океан возникали в меловой период (144—65 млн лет назад), но в миоцен и плиоцен между Северной и Южной Америками сформировалась сухопутная перемычка[3].
Острова Вест-Индии входят в состав Антильско-Карибской области складчатого геосинклинального пояса Кордильер, сохраняющего высокую вулканическую и сейсмическую активность. Последняя особенно наблюдается в расположенном к северу от Пуэрто-Рико и Виргинских островов жёлобе Пуэрто-Рико. Исследования показывают, что с 1670 года в регионе произошло 13 землетрясений магнитудой более 7,0, причём учёные не исключают возможность возникновения цунами[21].
Рельеф
Поверхность Карибской плиты разделена на пять котловин: Гренадскую (глубина 4120 м), Венесуэльскую (5420 м[5] или 5630 м[3]), Колумбийскую (4532 м[5] или 4263 м[3]), Кайманову (Бартлетт, 7686 м) и Юкатанскую (5055 м[5] или 4352 м[3]). Впадины разделены подводными хребтами (вероятно, бывшими островными дугами) Авес, Беата и Никарагуанским поднятием.
Юкатанская котловина отделена от Мексиканского залива Юкатанским проливом, который расположен между полуостровом Юкатан и островом Куба и имеет глубину около 1600 м. К югу от Юкатанской котловины с запада на восток протянулась Кайманова котловина, частично отделённая от Юкатанской Каймановым хребтом, который в нескольких местах выходит на поверхность, образуя Каймановы острова. Никарагуанское поднятие, имеющее форму треугольника и глубину около 1200 м, простирается от побережья Гондураса и Никарагуа к острову Гаити. На этом поднятии находится остров Ямайка, также по нему проходит граница между Каймановой и Колумбийской котловинами. Колумбийская котловина, в свою очередь, частично отделена от Венесуэльской хребтом Беата, который поднимается до 2121 м ниже уровня моря. Колумбийская и Венесуэльская котловины соединены Арубским разрывом, глубина которого достигает 4 тыс. м. Хребет Авес отделяет от Венесуэльской небольшую Гренадскую котловину, которая с востока ограничена дугой Малых Антильских островов[3].
В гряде Больших Антильских островов имеются два глубоких прохода: пролив Анегада и Наветренный пролив. Глубина пролива Анегада изменяется от 1950 до 2350 м, Наветренного пролива — от 1600 до 1630 м[3][22].
| Error: imagemap_poly_odd |
| Цифрами обозначены: 1. Гондурасский залив 2. залив Москитос 3. Дарьенский залив 4. Венесуэльский залив 5. озеро Маракайбо 6. Гуаканаябо 7. залив Гонав 8. остров Тринидад 9. Каймановы острова (При нажатии на какай-либо из изображённых географических объектов, будет осуществлён переход на соответствующую статью.) |
Береговая линия

Береговая линия моря сильно изрезана, берега местами гористые, местами низменные (Прикарибская низменность). В мелководных районах имеются различные коралловые отложения и многочисленные рифовые постройки. На континентальном побережье (западная и южная часть моря) расположено несколько заливов, крупнейшие из которых: Гондурасский, Москитос, Дарьенский, Венесуэльский и Карьяко. В северной части расположены заливы Батабано, Ана-Мария и Гуаканаябо (южный берег острова Куба), а также залив Гонав (западная часть острова Гаити).
На восточном берегу Юкатана расположено несколько бухт, в том числе Асенсьон, Эспириту-Санто и Четумаль. Гондурасский залив оканчивается бухтой Аматике, расположенной на границе Белиза и Гватемалы. Северный берег Гондураса изрезан слабо, а в Москитовый берег вдаётся несколько лагун, среди которых лагуны Каратаска, Бисмуна, Перлас и бухту Блуфилдс. На востоке Панамы расположена крупная лагуна Чирики. У берегов Южной Америки Дарьенский залив оканчивается заливом Ураба, отгороженный полуостровом Гуахира Венесуэльский залив — озером Маракайбо, а залив Карьяко находится между мысом Кодера на западе и полуостровом Арая на востоке. К западу от острова Тринидад лежит залив Пария, который считается частью Атлантического океана.
Острова

В понятие Вест-Индия принято включать Антильские и Багамские острова. Карибское море омывает только Антильские острова, которые подразделяются на Большие Антильские острова и Малые Антильские острова. Большие Антильские острова окаймляют северную границу моря и включают в себя четыре крупных острова: Кубу, Гаити (ранее назывался Эспаньола), Ямайку и Пуэрто-Рико, а также небольшие близлежащие острова — архипелаги Лос-Канарреос (крупнейший остров Хувентуд) и Хардинес-де-ла-Рейна, лежащие у южных берегов Кубы.
Малые Антильские острова подразделяются на Наветренные и Подветренные острова (Южные Антильские острова), названные так по отношению к северо-западному пассату. Первая группа лежит на восточной границе моря и состоит примерно из 50 островов, крупнейшие из которых: Санта-Крус, Сент-Томас (Виргинские острова), Ангилья, Святого Мартина, Сент-Китс, Барбуда, Антигуа (Антигуа и Барбуда), Гранд-Тер и Бас-Тер (Гваделупа), Доминика, Мартиника, Сент-Люсия, Сент-Винсент, Барбадос, Гренада, Тобаго и Тринидад. Южные Антильские острова располагаются вдоль побережья Южной Америки и включают в себя острова Аруба, Кюрасао, Бонайре (владения Нидерландов), Маргарита, архипелаги Лас-Авес и Лос-Рокес (Венесуэла) и ряд других, меньших по площади.
В западной части Карибского моря расположено несколько архипелагов, таких как Каймановы острова, острова Тернефф, Ислас-де-ла-Баия и Мискитос, а также ряд отдельных островов (Провиденсия, Сан-Андрес) и рифов (Лайтхаус, Гловер, Медия-Луна и другие).
Океанография
Гидрологический режим моря отличается высокой степенью однородности. Годовые колебания средних месячных температур воды на поверхности не превышают 3 °C — от 25 до 28 °C[23]. За последние 50 лет Карибское море прошло через три этапа: остывание до 1974 года, холодная фаза с пиками в 1974—1976 и 1984—1986 гг., а затем нагрев с 1986 года со скоростью 0,6 °C в год. Практически все температурные экстремумы были связаны с феноменами Эль-Ниньо и Ла-Нинья[24]. Солёность морской воды составляет около 36,0 ‰[25], её плотность 1023,5—1024,0 кг/м³. На поверхности вода имеет голубовато-зелёный и зелёный цвет. Вертикальное изменение гидрологических характеристик происходит до глубины 1500 м, ниже море заполнено водой, поступающей из Атлантического океана. Относительно небольшая глубина проливов между Антильскими островами не позволяет проникать в Карибское море глубинным океаническим водам, температура которых составляет менее 2 °C. Глубинные течения входят в Карибское море через Наветренный пролив и пролив Анегада, вода в них богата кислородом, имеет температуру от 4,2 до 4,3 °C и немного меньшую солёность (34,95—34,97 ‰)[5]. Эти воды заполняют Венесуэльскую котловину на глубинах 1800—3000 м, а также проникают в Юкатанскую, Кайманскую и Колумбийскую котловины на глубины около 2000 м. Субантарктические воды среднего слоя входят в Карибское море через пролив Анегада на глубине 500—1000 м, а над ними проходит субтропическое подводное и поверхностное течение[3].

Поверхностное субтропическое Карибское течение, проходящее из юго-восточной в северо-западную часть моря, является продолжением Южного Пассатного течения (или местного Гвианского течения), его поток оценивается в 26 млн м³/с[2]:638. Пассат гонит воды на запад, у берегов Центральной Америки течение поворачивает на север и через Юкатанский пролив уходит в Мексиканский залив. Скорость течения составляет 1—2,8 км/ч, у Юкатанского пролива возрастает до 6 км/ч[26]. Течение тёплое, температура воды в нём составляет около 28 °C, а солёность — менее 35,5 ‰ из-за значительного вклада пресных вод Амазонки и Ориноко[27]. Вода, нагнетаемая из Карибского моря в Мексиканский залив, повышает уровень последнего относительно основной части Атлантического океана (уровень воды у западного берега Флориды на 19 см выше, чем у восточного[2]:642), что создаёт гидростатический напор, который, как предполагается, является основной движущей силой Гольфстрима.
В юго-западном районе моря, между побережьями Колумбии и Никарагуа, на протяжении почти всего года существует круговое течение, закрученное против часовой стрелки. Приливы в акватории Карибского моря в основном неправильные полусуточные, амплитудой менее 1 м[5].
В сезон дождей воды реки Ориноко создают высокие концентрации хлорофилла в восточной части моря[28]. Впадина Карьяко, расположенная у берегов Венесуэлы, интересна тем, что в ней постоянно присутствует сероводород[29], а в жёлобе Кайман обнаружена высокая концентрация метана[30].
Бассейн Карибского моря

Бассейн Карибского моря располагается на территории Центральной и Южной Америки. Самая крупная река, впадающая в Карибское море, — Магдалена (1550 км) с притоками Каука и Сесар. Её годовой сток оценивается в 228 км³, или в среднем 7,2 тыс. м³/с (данные с 1942 по 2002 год). В залив Ураба Дарьенского залива впадают реки Атрато (годовой сток — 81 км³), Леон (2,1 км³) и Турбо (12 км³). Среди других рек Южной Америки Дике (9,4 км³) и Сину (11,8 км³), а также Кататумбо и Чама, которые впадают в Маракайбо — крупнейшее озеро континента[31].
На побережье Северной Америки в Карибское море впадают реки Белен, Крикамола (впадает в лагуну Чирики), Терибе и Сиксаола, Чиррипо-Атлантико, Ревентасон и Сан-Хуан (Коста-Рика), Индио, Пунта-Горда, Рио-Эскондидо и Куринуас, Рио-Гранде-де-Метагальпа, Принсаполька, Бамбана, Кукалая, Уауа и Коко (Никарагуа), Патука, Сико-Тинто, Агуан, Улуа и Чамелекон (Гондурас), Мотагуа и Рио-Дульсе (Гватемала), река Белиз, Нью-Ривер, Рио-Ондо (Белиз).
Островные реки: Кауто и Саса (Куба), Артибонит и Яке-дель-Сур (остров Гаити), Блэк-Ривер и Милк-Ривер (Ямайка).
Климат
Карибское море находится в зоне тропического климата, на который влияет пассатная циркуляция. Средние месячные температуры воздуха зимой изменяются от +23 на севере до +27 °C на южном побережье моря. Летом же среднемесячная температура везде около +28 °C Облачность составляет 4—5 баллов[5].
Среднегодовое количество осадков в регионе изменяется от 250 мм на острове Бонайре до 9000 мм в наветренных частях Доминики. Преобладают северо-восточные пассаты со средними скоростями 16—32 км/ч, однако в северных районах моря случаются тропические ураганы, скорость которых может превышать 120 км/ч. В среднем за год происходит 8—9 таких ураганов в период с июня по ноябрь, причём в сентябре — октябре они наиболее часты. По данным Национального ураганного центра США за период с 1494 по 1900 год над Карибским бассейном прошло 385 ураганов, а с 1900 по 1991 годы было зафиксировано 235 подобных проявлений стихии[33]. Регион Карибского моря менее подвержен разрушительному воздействию ураганов, чем Мексиканский залив или западная часть Тихого океана (где с мая по ноябрь свирепствуют тайфуны). Большая часть ураганов формируется у островов Зелёного Мыса и направляется пассатами к берегам Америки, в общем же предсказать точную траекторию движения урагана невозможно[3].
Сильные ураганы приводят к гибели людей, разрушениям и неурожаям в регионе. Великий ураган 1780 года, бушевавший с 10 по 16 октября 1780 года, причинил колоссальный ущерб Малым Антильским островам, Пуэрто-Рико, Доминиканской Республике и, возможно, полуострову Флорида, а также привёл к гибели от 22 до 24 тыс. человек[34]. Ураган Митч, возникший 22 октября 1998 года у берегов Колумбии, прошёл по Центральной Америке, полуостровам Юкатан и Флорида, нанеся ущерб в 40 млн долларов США и погубив 11—18 тыс. человек[35]. Ураганы Галвестон (1900) и Фифи (1974) также нанесли значительный ущерб региону.
Флора и фауна
В соответствии с фаунистическим районированием район Карибского моря относится к Карибской области. Регион обладает большим биоразнообразием[36], многие из видов являются эндемиками[37].
Растительность

Растительность региона преимущественно тропическая, однако различия в топографических, почвенных и климатических условиях увеличивают видовое разнообразие. Пористые известняковые террасы островов, как правило, бедны питательными веществами[3]. По оценкам, в Карибском регионе произрастают 13 тыс. видов растений, из которых 6,5 тыс. являются эндемиками[38], например, гваяковое дерево (цветок которого является национальным символом Ямайки[39]). В прибрежных районах распространена кокосовая пальма, лагуны и эстуарии рек заросли плотными манграми (красное и чёрное мангровое дерево)[3].
На мелководьях флора и фауна концентрируется вокруг коралловых рифов, росту которых способствуют почти постоянная температура, чистая вода и небольшие изменения уровня солёности. В лагунах подветренных сторон рифов встречаются подводные поля морских трав[3]. Всего в Карибском море встречается семь видов водорослей. Наиболее распространены талассия черепаховая (Thalassia testudinum) и Syringodium filiforme (семейство Цимодоцеевые), которые могут произрастать как совместно, так и одновидовыми полями на глубинах до 20 м. Ещё один вид цимодоцеевых — Halodule wrightii — произрастает на песчаных и грязевых поверхностях на глубинах до 5 м. В солоноватой воде гаваней и эстуариев рек на глубинах 0—2,5 м встречается руппия морская (Ruppia maritima). Представители трёх видов, принадлежащие роду Halophila (Halophila baillonii, Halophila engelmanni и Halophila decipiens) обитают на глубинах до 30 м Halophila engelmanni не растёт ниже 5 м, ареал этого вида ограничен Багамами, Флоридой, Большими Антильскими островами и западной частью Карибского моря. Вид Halophila baillonii был найден только на Малых Антильских островах[40].
Животный мир
Морская биота региона произошла от представителей Индийского и Тихого океанов, попавших в Карибское море до возникновения Панамского перешейка около 4 млн лет назад[3]. В Карибском море обитают примерно 450 видов рыб[41], в том числе акулы (акула-бык, тигровая акула, шёлковая акула и карибская рифовая акула), летучие рыбы, морские дьяволы, оранжевоплавничный хирург (Acanthurus bahianus), рыба-ангел (Pomacanthus), глазчатая рыба-бабочка (Chaetodon ocellatus), рыбы-попугаи, гуаса (Epinephelus itajara), тарпон и мурены. Во всём Карибском регионе производится промышленный вылов лангустов, сардин (у берегов Юкатана) и некоторых видов тунцов. Альбуловые, барракуды, марлины и ваху популярны у рыбаков-любителей[3].
Млекопитающие Карибского региона представлены 90 видами[38], встречаются кашалоты, горбатые киты и дельфиновые. У острова Ямайка обитают тюлени и американские ламантины[5]. Обитавший ранее в регионе карибский тюлень-монах считается вымершим; под угрозой вымирания находится представители родного для региона семейства щелезубов.

Рептилии Карибского региона представлены 500 видами (94 % эндемиков)[38]. На островах обитают несколько эндемичных видов циклур, широко распространён острорылый крокодил. В регионе представлены несколько видов морских черепах: Trichechea spp., логгерхед (Caretta caretta), зелёная черепаха, бисса, кожистая черепаха, атлантическая ридлея (Lepidochelys kempii) и оливковая черепаха (Lepidochelys olivacea)[42]. Некоторые виды находятся под угрозой вымирания[43], их популяция, по оценкам исследователей, сильно уменьшилась с XVII века — число зелёных черепах снизилось с 91 млн до 300 тыс. особей, а бисс — с 11 млн до менее чем 30 тыс. к 2006 году[44].
Все 170 видов амфибий, обитающие в регионе, являются эндемичными. Ареалы практически всех представителей семейств жаб, древолазов, квакш и свистунов ограничены каким-либо одним островом[38].
В Карибском регионе зарегистрировано 600 видов птиц, 163 из которых эндемичны для региона, например, тоди, кубинский шилоклювый дятел и пальмовый чекан. Из эндемиков 48 видов находятся под угрозой вымирания: пуэрто-риканский амазон, кубинский погоныш, кубинский крапивник и другие[38]. Антильские острова наряду с Центральной Америкой лежат на пути миграции птиц из Северной Америки, поэтому размеры популяций птиц подвержены сильным сезонным колебаниям. В лесах водятся попугаи, сахарные птицы и туканы, над открытым морем можно встретить фрегатов и фаэтонов.
Экология и природоохранные территории

Основными факторами, влияющими на глобальное изменение характеристик Карибского моря, считаются глобальное потепление и повышение уровня моря (ожидается, что к 2100 году он повысится на 86,36 см), повышение температуры моря, вызывающее обесцвечивание кораллов и цветение воды, а также изменения характера распределения осадков и соответствующего речного стока[45] и даже пыль, приносимая песчаными бурями из Сахары[31]. Негативное влияние также оказывает судоходство, генерирующее около 82 тыс. тонн мусора в год, нефтяные перевозки и наземные источники загрязнений[46].
С начала 1980-х годов, когда было подписано Международное морское право, вся территория Карибского моря стала территориальными водами или исключительной зоной омываемых морем стран. Резкий рост населения и чрезмерное использование морских ресурсов сподвигли международное сообщество к принятию актов, направленных на сохранение окружающей среды региона. В 1990 году тринадцатью странами был подписан Картахенский протокол о защите и развитии морской среды Карибского региона (Protocol of the Convention for the Protection and Development of the Marine Environment of the Wider Caribbean Region), который запретил человеческую деятельность, приводящую к разрушению морской среды[47]. Кроме того, было подписано три протокола: о сотрудничестве в борьбе с разливами нефти (1983), о создании особо защищаемых зон дикой природы (1990) и о предотвращении, уменьшении и контроле за загрязнениями (1999)[3].
В настоящее время на Карибских островах осталось не более 23 тыс. км² (10 %) коренных лесов. На Кубе, где расположены крупнейшие леса островной части региона, нетронутыми сохранилось менее 15 % лесов, остальные были вырублены в процессе освоения территорий[37].

Кораллы
В Атлантическом океане находятся около 9 % коралловых рифов мира. Их площадь составляет 50 тыс. км², причём бо́льшая часть находится у берегов Карибских островов и Центральной Америки[48]. Одним из наиболее изучаемых в последнее время явлений в регионе стало обесцвечивание кораллов. До 1980-х годов в Карибском море были широко распространены мадрепоровые кораллы, за последующие 20 лет по антропогенным и природным причинам их популяция уменьшилась, а количество морских водорослей увеличилось. В 1983 году этот процесс обострился массовой гибелью морских ежей, которые питаются водорослями[24]. Научные исследования рифов проводились с 1995 по 1998 год у побережья Белиза на крупнейшем в Северном полушарии коралловом барьерном рифе, а также в 2005 году у рифов в восточной части моря[3]. Потепление Карибского моря (в результате глобального изменения климата[3]) ставит под угрозу хрупкие экосистемы коралловых рифов — длительное превышение температурой воды значения 29 °C приводит к гибели микроскопических водорослей зооксантеллы. Эти растения дают кораллам пищу и цвет, поэтому их гибель приводит к обесцвечиванию кораллов и нарушению всей экосистемы рифов.
В 2000 году около 30 % рифов Карибского моря считались уничтоженными или находящимися в серьёзной опасности по антропогенным причинам. В 2005 году процессы обесцвечивания ускорились — некоторые из карибских колоний кораллов полностью потеряли цвет, а 95 % подверглись процессам обесцвечивания[49]. Ожидается, что при отсутствии дополнительных действий по защите за последующие 10—30 лет погибнет ещё 20 % коралловых рифов[24].
Обитатели рифов важны для таких видов туристической деятельности, как рыбалка и дайвинг, которые по оценкам 2000 года приносят региону 3,1—4,6 млрд долларов США ежегодно[50].

Природоохранные территории
Общая площадь природоохранных территорий на островах Вест-Индии составляет 30 тыс. км² (13 % земной поверхности региона). На Кубе охраняется около 15 % её территории (включая болото Сапата площадью 4354,3 км², национальный парк имени Александра Гумбольдта и Десембарко-дель-Гранма), в Доминике — немногим более 20 % (в том числе национальный парк Морн-Труа-Питон), в Доминиканской Республике — около 15 % (национальный парк Харагуа и др.). В других странах защищаемых природных областей почти нет[37].
Среди природоохранных территорий вдоль континентального побережья выделяются: заповедник Сиан-Каан, банка Чинчорро (Мексика), биологический заповедник на островах Мискитос (Никарагуа), национальный парк Дарьен (Панама), национальные парки Лос-Катиос и Тайрона (Колумбия), национальный парк Меданос-де-Коро, национальный парк Генри Питера, Эль-Авила, Мочима и Лагуна-де-Ла-Рестинга (Венесуэла).
Экономика и хозяйственное значение

На берегу Карибского моря (в пределах 100 км от побережья) проживает более 116 млн человек, основным источником доходов которых является туризм (15,5 % всех рабочих мест региона). В рыболовецкой отрасли занято более 300 тыс. человек[31]. Объёмы рыболовства оцениваются немногим менее полумиллиона тонн морепродуктов в год. Основные промысловые виды: карибские лангусты (Panulirus argus), стромбус гигантский (Strombus gigas), жгутиковые креветки (Penaeidae), макрель-кавалла (Scomberomorus Cavalla), испанская макрель (S. maculatus), большая корифена (Coryphaena hippurus), сериолы (Seriola spp.) и другие[24]. Производится сбор жемчуга[29].
Судоходство и торговля
С экономико-стратегической точки зрения Карибское море играет роль кратчайшего морского пути из портов Атлантического океана через Панамский канал в акваторию Тихого океана. Основные порты Карибского моря: Маракайбо и Ла-Гуайра (Венесуэла), Картахена (Колумбия), Лимон (Коста-Рика), Санто-Доминго (Доминиканская Республика), Колон (Панама), Сантьяго-де-Куба (Куба) и другие[5].
Сложная система сообщения и торговли в Карибском регионе обеспечивает высокий оборот, однако бо́льшая его часть приходится на страны, расположенные вне этого региона. Товары и ресурсы, являющиеся объектом торговли внутри региона, немногочисленны: рис из Гайаны, древесина из Белиза, бензин из Тринидада и Кюрасао, соль, удобрения, растительные масла и жиры с восточных островов, а также малое количество промышленной продукции. Потребителями большей части производимой в регионе продукции (бананы, сахар, кофе, ром, бокситы, никель и нефть) являются США и Канада[3].
Туризм

Благодаря тёплому климату и красивым пляжам регион Карибского моря является одной из основных курортных зон мира. Богатая морская фауна привлекает дайверов; кроме природных красот регион богат культурными памятниками доколумбовых цивилизаций и колониальной эпохи. Индустрия туризма является важной составляющей экономики стран Карибского региона, обслуживая в основном путешественников из США, Канады, Бразилии и Аргентины. Воздушное сообщение между Северной Америкой и Карибами развито лучше, нежели внутри региона[3]. По данным Карибской туристской организации, в 2007 году регион посетило 22,7 млн туристов, а также 19,2 млн человек приняли участие в круизных турах. К наиболее популярным направлениям относятся Доминиканская Республика, Куба, Мексика (Канкун, Ривьера-Майя), Ямайка, Багамы и Пуэрто-Рико[51].
По оценкам 2004 года общее число рабочих мест в туризме и связанной с ним деятельности на островной части Карибского региона составило более 2,4 млн человек (15,5 %, в два раза больше среднемирового), а вклад туризма в ВВП региона — 28,4 млрд долларов США (13 %). Суммарная стоимость экспортированных услуг и товаров составила 19 млрд (16 %); 21,7 % от всех капитальных инвестиций пришёлся на туризм (более чем в два раза больше среднемирового показателя)[31].
Культура
Один из спутников Колумба записал миф гаитянских индейцев (таино) о происхождении моря. Согласно ему, человек по имени Гиайа, защищаясь, убил своего сына и повесил калебасу с его костями в хижине. Эти кости превратились в рыб, а посетители хижины, желавшие их съесть, случайно опрокинули калебасу, откуда и вылились воды, образовавшие море. Согласно другому индейскому мифу, Карибское море, как и другие, возникло в результате всемирного потопа, который наслало на землю верховное существо[52].
Богатая история Карибского моря вдохновила множество авторов на создание различный произведений культуры, связанных с пиратством. К пиратской тематике обращались Даниель Дефо, Роберт Льюис Стивенсон, Рафаэль Сабатини и другие писатели, по ней создано множество фильмов (включая серию картин «Пираты Карибского моря» и мультфильм «Остров сокровищ»), а также выпущены многочисленные компьютерные игры. Жизнь и обычаи жителей стран Карибского бассейна описывали такие авторы, как кубинский писатель Алехо Карпентьер, доминиканский писатель (и президент) Хуан Бош, Дерек Уолкотт (Сент-Люсия) и колумбийский писатель Габриэль Гарсиа Маркес.
Карибский регион является родиной различных музыкальных жанров: регги, ска на Ямайке, меренге и бачата в Доминиканской Республике, калипсо в Тринидаде и Тобаго. Реггетон происходит из Пуэрто-Рико и Панамы, сон и сон-монтуно появились на Кубе, кумбия, порро и вальенато — на карибском побережье Колумбии[53].
Один из самых популярных видов спорта в Карибском регионе — это бейсбол, здесь проводится отдельный бейсбольный турнир — Карибская серия. На англоязычных Антильских островах также распространён крикет, в странах-участницах КОНКАКАФ популяризируется футбол. В регионе проводятся игры Центральной Америки и Карибского бассейна, национальные сборные также принимают участие в Панамериканских играх.
Основные языки в регионе — испанский, английский, креольские, французский и нидерландский. Преобладающее религии — римско-католическая (Доминиканская Республика, Куба, Пуэрто-Рико, Ямайка, Антигуа и Барбуда, Сент-Люсия, Каймановы острова, Доминика, Нидерландские Антильские острова, часть Центральной и Южной Америки), на некоторых островах практикуется протестантизм (Барбадос), индуизм (одна из самых распространённых религий в Тринидаде и Тобаго), англиканство (Монтсеррат, Сент-Винсент и Гренадины), также представлены сантерия (Куба), вуду (Гаити) и растафарианство (распространено на Ямайке)[54].
Примечания
- James C. F. Wang. Handbook on ocean politics & law (англ.). — Greenwood Publishing Group, 1992. — P. 14. — ISBN 978-0-313-26434-4.
- H. U. Sverdrup, Martin W. Johnson, Richard H. Fleming. The Oceans, Their Physics, Chemistry, and General Biology (англ.). — New York: Prentice-Hall, Inc., 1942. — 1087 p.
- Robert James Menzies, John C. Ogden. Caribbean Sea (sea, Atlantic Ocean) (англ.). Britannica Online Encyclopedia. Дата обращения: 1 мая 2009. Архивировано 13 августа 2011 года.
- Bridget M. Brereton. West Indies (англ.). Britannica Online Encyclopedia. Дата обращения: 1 мая 2009. Архивировано 13 августа 2011 года.
- Карибское море // Большая советская энциклопедия : [в 30 т.] / гл. ред. А. М. Прохоров. — 3-е изд. — М. : Советская энциклопедия, 1969—1978.
- Бартоломе де Лас Касас. глава 19 // История Индий = Historia de las Indias. — Ленинград: Наука, 1968. — Т. II.
- Antilles (islands, Atlantic Ocean) (англ.). Britannica Online Encyclopedia. Дата обращения: 1 мая 2009. Архивировано 13 августа 2011 года.
- Золотой век пиратства (недоступная ссылка). Пираты морей и океанов. Дата обращения: 23 апреля 2009. Архивировано 13 августа 2011 года.
- Declaration of Margarita (англ.) (недоступная ссылка). Association of Caribbean States (11 декабря 2001). Дата обращения: 12 марта 2009. Архивировано 13 августа 2011 года.
- Washington Irving. A History of the Life and Voyages of Christopher Columbus: In Four Volumes. — G. & C. Carvill, 1828. — 399 с.
- Christopher Columbus (Italian explorer). Britannica Online Encyclopedia. Архивировано 13 августа 2011 года.
- First Map Showing the Gulf of Mexico, 1500 (англ.) (недоступная ссылка). gulfbase.org. Дата обращения: 1 апреля 2009. Архивировано 13 августа 2011 года.
- Охеда // Большая советская энциклопедия : [в 30 т.] / гл. ред. А. М. Прохоров. — 3-е изд. — М. : Советская энциклопедия, 1969—1978.
- Бастидас Родриго. Большой энциклопедический словарь.
- Mexican Gulf Exploration History (англ.) (недоступная ссылка). gulfbase.org. Дата обращения: 1 апреля 2009. Архивировано 13 августа 2011 года.
- Map by De Kerhallet, 1853 (англ.) (недоступная ссылка). gulfbase.org. Дата обращения: 1 апреля 2009. Архивировано 13 августа 2011 года.
- History of NOAA Ocean Exploration (англ.) (недоступная ссылка). NOAA. Дата обращения: 1 апреля 2009. Архивировано 13 августа 2011 года.
- В. Е. Хаин, Н. В. Короновский, Н. А. Ясаманов. Историческая геология. — Academia, 2008. — С. главы 12—20. — ISBN 5769555955.
- Антони Хэллем. Юрский период. — Л.: Недра, 1978. — С. 165—166.
- Caribbean Geology: Into the Third Millennium: Transactions of the Fifteenth Caribbean Geological Conference / Trevor A. Jackson. — University of West Indies Press, 2002. — С. 3—5. — 279 с. — ISBN 9766401004.
- Shelley Dawicki. Tsunamis in the Caribbean? It’s Possible (англ.). Oceanus (25 марта 2005). Дата обращения: 10 марта 2009. Архивировано 13 августа 2011 года.
- International Bathymetric Chart of the Caribbean Sea and the Gulf of Mexico (англ.). NOAA. Дата обращения: 23 апреля 2009. Архивировано 13 августа 2011 года.
- G. Samuels (RSMAS). Анимация изменения месячных температур в Карибском бассейне (англ.). WWF. Дата обращения: 30 апреля 2009. Архивировано 13 августа 2011 года.
- S. Heileman, R. Mahon. Large Marine Ecosystems — Caribbean Sea (англ.) (недоступная ссылка). NOAA. Дата обращения: 23 апреля 2009. Архивировано 18 августа 2011 года.
- Judy Gray, Doug Wilson (NOAA/NODC). Анимация изменения распределения солёности в Карибском бассейне (англ.). WWF (2004). Дата обращения: 30 апреля 2009. Архивировано 13 августа 2011 года.
- Карибское течение // Большая советская энциклопедия : [в 30 т.] / гл. ред. А. М. Прохоров. — 3-е изд. — М. : Советская энциклопедия, 1969—1978.
- Joanna Gyory, Arthur J. Mariano, Edward H. Ryan. The Caribbean Current (англ.). Университет Майами. Дата обращения: 11 марта 2009. Архивировано 13 августа 2011 года.
- Luis Ernesto Medina Faull. Descargas fluviales en las Zonas Costeras (исп.) (недоступная ссылка). Dirección de hidrografía y navegación de Venezuela. Дата обращения: 11 марта 2009. Архивировано 11 августа 2007 года.
- Карибское море // Словарь современных географических названий / Рус. геогр. о-во. Моск. центр; Под общ. ред. акад. В. М. Котлякова. Институт географии РАН. — Екатеринбург: У-Фактория, 2006.
- Институт океанологии РАН. Гидротермальный механизм образования углеводородов в срединно-океанических хребтах. geolib.ru (1997). Дата обращения: 7 марта 2009.
- John B. R. Agard, Angela Cropper, et al. Caribbean Sea Ecosystem Assessment (англ.) (недоступная ссылка). UNEP (2007). Дата обращения: 23 апреля 2009. Архивировано 20 августа 2009 года.
- Rob Gutro. NASA Satellites Record a Month for the Hurricane History Books (англ.). NASA (6 сентября 2005). Дата обращения: 11 марта 2009. Архивировано 13 августа 2011 года.
- Philip Dickenson Peters. Caribbean Wow 2.0. — Zagada Markets, 2003. — С. 100—101. — 236 с. — ISBN 1929970048.
- Orlando Férez. Notas acerca de los Ciclones Tropicales de Puerto Rico (англ.). NOAA, Atlantic Oceanographic and Meteorological Laboratory (1970). Дата обращения: 11 марта 2009. Архивировано 13 августа 2011 года.
- Hurricane Mitch Tropical Cyclone Report (англ.) (недоступная ссылка). National Hurricane Center (1998). Дата обращения: 11 марта 2009. Архивировано 16 февраля 2014 года.
- Караибское море // Энциклопедический словарь Брокгауза и Ефрона : в 86 т. (82 т. и 4 доп.). — СПб., 1890—1907.
- Caribbean — Overview (англ.). Biodiversity Hotspots. Дата обращения: 24 апреля 2009. Архивировано 13 августа 2011 года.
- Caribbean — Unique Biodiversity (англ.). Biodiversity Hotspots. Дата обращения: 24 апреля 2009. Архивировано 13 августа 2011 года.
- National Symbols (англ.) (недоступная ссылка). Jamaica Information Service (2007). Дата обращения: 23 апреля 2009. Архивировано 13 августа 2011 года.
- Caribbean seagrass (англ.) (недоступная ссылка). Seagrass Watch. Дата обращения: 28 апреля 2009. Архивировано 18 августа 2011 года.
- Southern Caribbean Basin of Venezuela (англ.) (недоступная ссылка). The Nature Conservacy. Дата обращения: 24 апреля 2009. Архивировано 18 августа 2011 года.
- Southern Caribbean Sea (англ.) (недоступная ссылка). WWF. Дата обращения: 28 апреля 2009. Архивировано 18 августа 2011 года.
- Severin Carrell. Caribbean sea turtles close to extinction (англ.) (недоступная ссылка). The Independent (28 ноября 2004). Дата обращения: 23 апреля 2009. Архивировано 18 августа 2011 года.
- Historic Caribbean sea turtle population falls 99 %. Plunge has significant ecological consequences (англ.) (недоступная ссылка). mongabay.com (1 августа 2006). Дата обращения: 23 апреля 2009. Архивировано 18 августа 2011 года.
- A. Lum Kong. Impacts of Global Climate Changes on Caribbean Fisheries Resources: Research Needs (англ.) (недоступная ссылка). GECAFS, Caribbean Meetings. www.gecafs.org. Дата обращения: 25 января 2020. (19 сентября 2002). Дата обращения: 3 апреля 2009. Архивировано 18 августа 2011 года.
- Norman Girvan. Protecting the Caribbean Sea (англ.) (недоступная ссылка). Association of Caribbean States (24 января 2002). Дата обращения: 23 апреля 2009. Архивировано 18 августа 2011 года.
- Overview of the SPAW Protocol (англ.) (недоступная ссылка). UNEP. Дата обращения: 10 марта 2009. Архивировано 10 марта 2009 года.
- Status of coral reefs in the Caribbean and Atlantic Ocean (англ.) (недоступная ссылка). World Resource Institute. Дата обращения: 10 марта 2009. Архивировано 18 августа 2011 года.
- Bleaching Threatens Caribbean Coral Reefs (англ.) (недоступная ссылка). CBS News (3 ноября 2005). Дата обращения: 10 марта 2009. Архивировано 6 ноября 2005 года.
- Alarm sounded for Caribbean coral (англ.). BBC News (22 сентября 2004). Дата обращения: 10 марта 2009. Архивировано 18 августа 2011 года.
- Annual Tourism Overview (англ.) (недоступная ссылка). OneCaribbean.org. Дата обращения: 11 марта 2009. Архивировано 18 августа 2011 года.
- История литератур Латинской Америки. Кн. 1. От древнейших времен до начала Войны за независимость. М.: Наука. 1985. С. 92, 93.
- Кирилл Широков. Музыкальная культура карибских островов (недоступная ссылка). afrocuba.ru. Дата обращения: 12 марта 2009. Архивировано 18 августа 2011 года.
- Caribbean Religion (англ.). caribbean-guide.info. Дата обращения: 12 марта 2009. Архивировано 18 августа 2011 года.
Литература
- Пущаровский Ю. М. Тектоника и геодинамика Карибского региона [Сб. статей]. — Москва: Наука, 1979. — 146 с. — (Результаты исслед. по междунар. геофиз. проектам).
- Нелепо Б. А. Комплексные исследования тропической зоны Атлантического океана и Карибского моря [Сб. ст.]. — Севастополь: МГИ, 1983. — 130 с.
- Булгаков Н. П., Доценко С. Ф., Кушнир В. М., Букатов А. Е. Гидрофизические исследования Карибского моря. — Киев: Наук. думка, 1991. — 188 с. — ISBN 5-12-001911-0.
- Суховей В. Ф., Коротаев Г. К., Шапиро Н. Б. Гидрология Карибского моря и Мексиканского залива. — Ленинград: Гидрометеоиздат, 1980. — 182 с.
- Clay Wiseman. Guide to marine life: Caribbean, Bahamas, Florida. — Aqua Quest Publications, Inc., 1996. — 284 с. — ISBN 1881652068.
- Jacques S. Zaneveld. Caribbean Fish Life: Index to the Local and Scientific Names of the Marine Fishes and Fishlike Invertebrates of the Caribbean Area (tropical Western Central Atlantic Ocean). — Brill Archive, 1983. — 163 с. — ISBN 9004067701.




