Атлантический океан
Атланти́ческий океа́н — второй по величине и глубине океан Земли после Тихого океана, расположенный между Гренландией и Исландией на севере, Европой и Африкой на востоке, Северной и Южной Америкой на западе и Антарктидой на юге.
| Атлантический океан | |
|---|---|
![]() | |
| Характеристики | |
| Площадь | 91,66 млн км² |
| Объём | 329,66 млн км³ |
| Наибольшая глубина | 8742 м |
| Средняя глубина | 3736 м |
| Расположение | |
| 0° с. ш. 30° з. д. | |
Площадь 91,66 млн км², из которых около 16 % приходится на моря, заливы и проливы. Площадь прибрежных морей невелика и не превышает 1 % от общей площади акватории. Объём вод составляет 329,66 млн км³, что равно 25 % объёма Мирового океана. Средняя глубина — 3736 м, наибольшая — 8742 м (жёлоб Пуэрто-Рико). Среднегодовая солёность вод океана составляет около 35 ‰. Атлантический океан имеет сильно изрезанную береговую линию с выраженным делением на региональные акватории: моря и заливы.
Название произошло от имени титана Атласа (Атланта) в греческой мифологии, а посему сокращённо океан называется Атлантика.
Этимология
Название океана впервые встречается в V веке до н. э. в трудах древнегреческого историка Геродота, который писал, что «море со столбами Геракла называется Атланти́с (др.-греч. Ἀτλαντίς — Атлантида)». Название происходит от известного в Древней Греции мифа об Атланте, титане, держащем на своих плечах небесный свод в крайней западной точке Средиземноморья. У римского учёного Плиния Старшего в I веке употребляется современное название Океанус Атлантикус (лат. Oceanus Atlanticus) — «Атлантический океан». В разное время отдельные части океана называли Западный океан, Северное море, Внешнее море; южная половина Атлантического океана иногда называлась Эфиопским морем или океаном, поскольку термин «Эфиопия» по традиции применялся ко всей Африке южнее Сахары (а к Эфиопской империи применялся экзоним «Абиссиния»).
Лишь с середины XVII века название Атлантический океан начало использоваться в современном значении[1], и в первых учебных атласах мира на русском языке (1737, 1757) использовалось ещё название «Северное море»[2]. Хотя ещё в учебниках академика Крафта 1739 и 1764 года Атлантической океян или позднее Океан (нем. Atlantische Meer, то есть Атлантическое море) выделяется современным образом[3][4][5], только в XIX века русскоязычная номенклатура окончательно устоялась и пришла в современный вид: так, по переводному учебнику географии 1809 года профессора Гаспари «Западный или Атлантический (несмотря на то, что в оригинале на этом месте Amerikanische![6]) Океан … по причине величины своей, разделяется … на два моря: Северная часть его до экватора именуется собственно Атлантическим морем. Южная … Эфиопским»[7]; в обзорной учебной карте мира 1824 года употребляется название «Атлантической Океан» в современном значении[2].
Физико-географическая характеристика
| Океаны | Площадь поверхности воды, млн км² | Объём, млн км³ | Средняя глубина, м | Наибольшая глубина океана, м |
|---|---|---|---|---|
| Атлантический | 91,66 | 329,66 | 3736 | жёлоб Пуэрто-Рико (8742) |
| Индийский | 76,17 | 282,65 | 3711 | Зондский жёлоб (7209) |
| Северный Ледовитый | 14,75 | 18,07 | 1225 | Гренландское море (5527) |
| Тихий | 178,68 | 710,36 | 3976 | Марианская впадина (11 022) |
| Мировой | 361,26 | 1340,74 | 3711 | 11 022 |
Общие сведения
Атлантический океан является вторым по величине. Его площадь составляет 91,66 миллионов км², объём воды — 329,66 миллионов км³. Он простирается от субарктических широт до самой Антарктиды[9]. Граница с Индийским океаном проходит по меридиану мыса Игольный (20° в. д.) до побережья Антарктиды (Земля Королевы Мод)[10]. Границу с Тихим океаном проводят от мыса Горн по меридиану 68°04’ з. д. или по кратчайшему расстоянию от Южной Америки до Антарктического полуострова через пролив Дрейка, от острова Осте до мыса Штернек. Граница с Северным Ледовитым океаном проходит по восточному входу Гудзонова пролива, далее через Девисов пролив и по побережью острова Гренландия до мыса Брустер, через Датский пролив до мыса Рейдинупюр на острове Исландия, по его побережью до мыса Герпир, затем к Фарерским островам, далее к Шетландским островам и по 61° северной широты до побережья Скандинавского полуострова[11]. Иногда южную часть океана, с северной границей от 35° ю. ш. (по признаку циркуляции воды и атмосферы) до 60° ю. ш. (по характеру рельефа дна), относят к Южному океану.
Моря и заливы
Площадь морей, заливов и проливов Атлантического океана составляет 14,69 миллионов км² (16 % от общей площади океана), объём 29,47 миллионов км³ (8,9 %). Наиболее известные моря и основные заливы (по часовой стрелке): Ирландское море, Бристольский залив, Северное море, Норвежское море, Балтийское море (Ботнический залив, Финский залив, Рижский залив), Бискайский залив, Средиземное море (море Альборан, Балеарское море, Лигурийское море, Тирренское море, Адриатическое море, Ионическое море, Эгейское море), Мраморное море, Чёрное море, Азовское море, Гвинейский залив, море Рисер-Ларсена, море Лазарева, море Уэдделла, море Скоша (последние четыре иногда относят к Южному океану), Карибское море, Мексиканский залив, Саргассово море, залив Мэн, залив Святого Лаврентия, море Лабрадор[8]. Также выделяют море Ирмингера (между Гренландией и Исландией), Кельтское море, море Ируаз, ватты у побережья Нидерландов и другие части.
![]() | ![]() | ![]() | ![]() |
| Вид на океан с острова Ньюфаундленд (Канада) | остров Эльба в Средиземном море | Пляж на острове Куба у города Варадеро | Ледник на острове Буве в Южной Атлантике |
Острова
Крупнейшие острова и архипелаги Атлантического океана: Британские острова (Великобритания, Ирландия, Гебридские острова, Оркнейские острова, Шетландские острова), Большие Антильские острова (Куба, Гаити, Ямайка, Пуэрто-Рико, Хувентуд), Ньюфаундленд, Исландия, архипелаг Огненная Земля (Огненная Земля, Наварино), Маражо, Сицилия, Сардиния, Малые Антильские острова (Тринидад, Гваделупа, Мартиника, Кюрасао, Барбадос, Гренада, Сент-Винсент, Тобаго), Фолклендские (Мальвинские) острова (Восточный Фолкленд (Соледад), Западный Фолкленд (Гран-Мальвина)), Багамские острова (Андрос, Большой Инагуа, Большой Багама), Кейп-Бретон, Кипр, Корсика, Крит, Антикости, Канарские острова (Тенерифе, Фуэртевентура, Гран-Канария), Зеландия, Принца Эдуарда, Балеарские острова (Мальорка), Южная Георгия, Лонг-Айленд, Моонзундский архипелаг (Сааремаа, Хийумаа), острова Зелёного Мыса, Эвбея, Южные Спорады (Родос), Готланд, Фюн, острова Киклады, Азорские острова, Ионические острова, Южные Шетландские острова, Биоко, острова Бижагош, Лесбос, Аландские острова, Фарерские острова, Эланд, Лолланн, Южные Оркнейские острова, Сан-Томе, острова Мадейра, Мальта, Принсипи, Святой Елены, Вознесения, Бермудские Острова[8].
История формирования океана

Атлантический океан образовался в мезозое в результате раскола древнего суперконтинента Пангея на южный материк Гондвана и северный Лавразия. В результате разнонаправленного движения этих материков в самом конце триаса привело к образованию первой океанической литосферы нынешней Северной Атлантики. Образовавшаяся рифтовая зона была западным продолжением рифтовой трещины океана Тетис. Атлантическая впадина на ранней стадии своего развития образовалась как соединение двух крупных океанских бассейнов океана Тетис на востоке и Тихого океана на западе. Дальнейшее разрастание впадины Атлантического океана будет проходить за счёт сокращения размеров Тихого океана. В раннеюрское время Гондвана начала раскалываться на Африку и Южную Америку и образовалось океаническая литосфера современной Южной Атлантики. В меловое время раскололась Лавразия, и началось отделение Северной Америки от Европы. При этом Гренландия, смещаясь к северу, откололась от Скандинавии и Канады. В течение последних 40 миллионов лет и вплоть до настоящего времени, продолжается раскрытие бассейна Атлантического океана по единой рифтовой оси, расположенной примерно в середине океана[12]. Сегодня движение тектонических плит продолжается. В Южной Атлантике продолжается расхождение Африканской и Южноамериканской плиты со скоростью 2,9—4 см в год. В Центральной Атлантике расходятся Африканская, Южноамериканская и Североамериканская плиты со скоростью 2,6—2,9 см в год. В Северной Атлантике продолжается расползание Евразийской и Североамериканской плит со скоростью 1,7—2,3 см в год. Североамериканская и Южноамериканские плиты движутся на запад, Африканская на северо-восток, а Евразийская на юго-восток, образуя пояс сжатия в районе Средиземного моря[13].
Подводные окраины материков

Значительные площади шельфа соотнесены с Северным полушарием и прилегают к берегам Северной Америки и Европы. В четвертичные времена большая часть шельфа подвергалась материковому оледенению, что сформировало реликтовые ледниковые формы рельефа. Другой элемент реликтового рельефа шельфа — затопленные речные долины, встречающиеся почти во всех шельфовых районах Атлантического океана. Широко распространены реликтовые континентальные отложения. У берегов Африки и Южной Америки шельф занимает меньшие площади, но в южной части Южной Америки он значительно расширяется (Патагонский шельф). Приливными течениями образованы песчаные гряды, получившие наибольшее распространение из современных субаквальных форм рельефа. Они очень характерны для шельфового Северного моря, в большом количестве встречаются в Ла-Манше, а также на шельфах Северной и Южной Америки. В экваториально-тропических водах (особенно в Карибском море, на Багамских банках, у берегов Южной Америки) разнообразно и широко представлены коралловые рифы[9].
Материковые склоны в большинстве районов Атлантического океана выражены крутыми склонами, иногда имеющие ступенчатый профиль и глубоко расчленены подводными каньонами. В некоторых районах материковые склоны дополняются краевыми плато: Блейк, Сан-Паулу, Фолклендское на американских подводных окраинах; Подкупайн и Гобан на подводной окраине Европы. Глыбовой структурой является Фарерско-Исландский порог, простирающийся от Исландии к Северному морю. В этом же регионе располагается возвышенность Роколл, также являющаяся погружённой частью подводной части Европейского субконтинента[9].
Материковое подножие, на большей части протяжения, представляет собой аккумуляционную равнину, лежащую на глубине 3—4 км и сложенную мощной (несколько километров) толщей донных осадков. Три реки Атлантического океана входят в десятку крупнейших в мире — Миссисипи (твёрдый сток 500 миллионов тонн в год), Амазонка (499 миллионов т) и Оранжевая (153 миллиона т). Суммарный объём осадочного материала, выносимого ежегодно в бассейн Атлантического океана только 22 основными его реками, составляет более 1,8 миллиарда т. В отдельных районах материкового подножия располагаются крупные конусы выноса мутьевых потоков, среди них наиболее значительны конусы выноса подводных каньонов Гудзона, Амазонки, Роны (в Средиземном море), Нигера, Конго. Вдоль Северо-Американской континентальной окраины за счёт донного стока холодных арктических вод вдоль материкового подножия в южном направлении образуются гигантские аккумуляционные формы рельефа (например, «осадочные хребты» Ньюфаундлендский, Блейк-Багамский и другие)[9][14].
Переходная зона
Переходные зоны в Атлантическом океане представлены областями: Карибской, Средиземноморской и областью моря Скоша или Южно-Сандвичевой.
К Карибской области относят: Карибское море, глубоководную часть Мексиканского залива, островные дуги и глубоководные желоба. В ней можно выделить следующие островные дуги: Кубинскую, Кайман—Сьера-Маэстра, Ямайка—Южный Гаити, внешнюю и внутреннюю дуги Малых Антильских островов. Кроме того, здесь выделяют подводную возвышенность Никарагуа, хребты Беата и Авес. Кубинская дуга имеет сложное строение и имеет ларамийский возраст складчатости. Её продолжением является северная кордельера острова Гаити. Складчатая структура Кайман—Сьера-Маэстра, имеющая миоценовый возраст, начинается горами Майя на полуострове Юкатан, затем продолжается в виде подводного хребта Кайман и горного хребта Южной Кубы Сьера-Маэстра. Мало-Антильская дуга включает в себя ряд вулканических образований (в том числе три вулкана, например, Монтань-Пеле). Состав продуктов извержения: андезиты, базальты, дациты. Внешняя гряда дуги — известняковая. С юга Карибское море окаймляют два параллельных молодых хребта: дуга Подветренных островов и горная цепь Карибских Анд, переходящая к востоку в острова Тринидад и Тобаго. Островные дуги и подводные хребты делят дно Карибского моря на несколько котловин, которые выровнены мощной толщей карбонатных донных осадков. Самая глубокая из них — Венесуэльская (5420 м). Здесь же имеются два глубоководных жёлоба — Кайман и Пуэрто-Рико (с самой большой глубиной Атлантического океана — 8742 м)[9].
Районы хребта Скоша и Южных Сандвичевых островов представляют собой бордерленды — участки подводной континентальной окраины, раздробленные тектоническими движениями земной коры. Островная дуга Южно-Сандвичевых островов осложнена рядом вулканов. С востока к ней примыкает Южно-Сандвичевый глубоководный жёлоб с максимальной глубиной 8228 м. Горный и холмистый рельеф дна моря Скоша связан с осевой зоной одного из ответвлений срединно-океанического хребта[9].
В Средиземном море отмечается широкое распространение континентальной земной коры. Субокеаническая земная кора развита лишь пятнами в самых глубоких котловинах: Балеарской, Тирренской, Центральной и Критской. Шельф существенно развит только в пределах Адриатического моря и Сицилийского порога. Горное складчатое сооружение, соединяющее Ионические острова, Крит и острова к востоку от последнего, представляют собой островную дугу, которая ограничена с юга Эллинским жёлобом, в свою очередь с юга, обрамлённого поднятием Восточно-Средиземноморского вала. Дно Средиземного моря в геологическом разрезе сложено соленосными толщами мессинского яруса (верхний миоцен). Средиземное море является сейсмичной зоной. Здесь сохранилось несколько действующих вулканов (Везувий, Этна, Санторин)[9].
Срединно-Атлантический хребет
Меридиональный Срединно-Атлантический хребет делит Атлантический океан на восточную и западную части. Начинается он у берегов Исландии под названием хребта Рейкьянес. Его осевую структуру образует базальтовый гребень, рифтовые долины в рельефе слабо выражены, но на флангах известны действующие вулканы. На широте 52—53° с. ш. срединно-океанический хребет пересекают поперечные зоны разломов Гиббс и Рейкьянес. За ними начинается Срединно-Атлантический хребет с чётко выраженной рифтовой зоной и рифтовыми долинами с многочисленными поперечными разломами и глубокими грабенами. На широте 40° с. ш. срединно-океанический хребет образует Азорское вулканическое плато, с многочисленными надводными (образующими острова) и подводными действующими вулканами. К югу от Азорского плато в рифтовой зоне под известковыми илами мощностью 300 м залегают базальты, а под ними глыбовая смесь ультраосновных и основных пород. В этом районе наблюдается современная бурная вулканическая и гидротермальная деятельность. В приэкваториальной части Северо-Атлантический хребет разбит большим числом поперечных разломов на ряд сегментов, испытывающих значительные (до 300 км) латеральные смещения относительно друг друга. У самого экватора с глубоководными разломами связана впадина Романш с глубинами до 7856 м[9].
Южно-Атлантический хребет имеет меридиональное простирание. Здесь хорошо выражены рифтовые долины, число поперечных разломов меньше, поэтому этот хребет выглядит более монолитным по сравнению с Северо-Атлантическим хребтом. В южной и средней частях хребта выделяются вулканические плато Вознесения, островов Тристан-да-Кунья, Гоф, Буве. Плато приурочено к действующим и недавно действовавшим вулканам. От острова Буве Южно-Атлантический хребет поворачивает на восток, огибает Африку и в Индийском океане смыкается с Западно-Индийским срединным хребтом[9].
Ложе океана
Срединно-Атлантический хребет делит ложе Атлантического океана на две почти равные части. В западной части горные сооружения: Ньюфаундлендский хребет, хребет Баракуда, поднятия Сеара и Риу-Гранди разделяют ложе океана на котловины: Лабрадорская, Ньюфаундлендская, Северо-Американская, Гвианская, Бразильская, Аргентинская. К востоку от срединно-океанического хребта ложе разделено подводным основанием Канарских островов, поднятием островов Зелёного Мыса, Гвинейским поднятием и Китовым хребтом на котловины: Западно-Европейскую, Иберийскую, Северо-Африканскую, Зелёного мыса, Сьерра-Леоне, Гвинейскую, Ангольскую, Капскую. В котловинах широко распространены плоские абиссальные равнины, сложенные главным образом из известкового биогенного, а также терригенного материала. На большей части площади ложа океана мощность осадков более 1 км. Под осадочными породами обнаружен слой представленный вулканическими породами и уплотнёнными осадочными породами[9].
В районах котловин, удалённых от подводных окраин материков, по периферии срединно-океанических хребтов распространены абиссальные холмы. Около 600 гор расположены в пределах ложа океана. Большая группа подводных гор приурочена к Бермудскому плато (в Северо-Американской котловине). Имеется несколько больших подводных долин, из которых наиболее значительны долины Хейзена и Мори в северной части ложа Атлантического океана, протягивающиеся по обе стороны от Срединно-океанического хребта[9].
Донные отложения
Отложения мелководной части Атлантического океана представлены большей частью терригенными и биогенными отложениями, и занимают 20 % площади дна океана. Из глубоководных отложений наиболее распространены известковые фораминиферовые илы (65 % площади дна океана). В Средиземном и Карибском морях, в южной зоне Южно-Атлантического хребта получили распространение птероподовые отложения. Глубоководная красная глина занимает около 20 % площади дна океана и приурочена к наиболее глубоким частям океанических котловин. В Ангольской котловине встречаются радиляриевые илы. В южной части Атлантики представлены кремнистые диатомовые отложения с содержанием аутигенного кремнезёма в них 62—72 %. В зоне течения Западных Ветров протягивается сплошное поле диатомовых илов, за исключением пролива Дрейка. В некоторых котловинах ложа океана значительно развиты терригенные алевриты и пелиты. Терригенные отложения на абиссальных глубинах характерны для Северо-Атлантической, Гавайской, Аргентинской котловин[9].
![]() | ![]() | ![]() | ![]() |
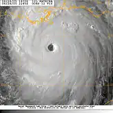
| Трещина вдоль Срединно-Атлантического хребта в Исландии | Извержение вулкана Суфриер-Хилс на острове Монтсеррат. Малые Антильские острова | Ураган «Катрина». Вид из космоса. 28 августа 2005 года | Маршруты всех ураганов, зафиксированных с 1851 по 2005 годы |
Климат
Разнообразие климатических условий на поверхности Атлантического океана определяется его большой меридиональной протяжённостью и циркуляцией воздушных масс под воздействием четырёх главных атмосферных центров: Гренландского и Антарктического максимумов, Исландского и Антарктического минимумов. Кроме того, в субтропиках постоянно действуют два антициклона: Азорский и Южно-Атлантический. Они разделяются экваториальной областью пониженного давления. Такое распределение барических областей определяет систему господствующих ветров в Атлантике. Наибольшее влияние на температурный режим Атлантического океана оказывает не только его большая меридиональная протяжённость, но и водообмен с Северным Ледовитым океаном, морями Антарктики и Средиземным морем. Для поверхностных вод характерно их постепенное охлаждение по мере удаления от экватора к высоким широтам, хотя наличие мощных течений обуславливает значительные отклонения от зональных температурных режимов[15].
На просторах Атлантики представлены все климатические пояса планеты. Для тропических широт характерны незначительные сезонные колебания температуры (средний показатель — 20 °C) и обильные осадки. К северу и югу от тропиков расположены субтропические пояса с более заметными сезонными (от 10 °C зимой до 20 °C летом) и суточными колебаниями температур; осадки здесь выпадают преимущественно летом. Частое явление в субтропической зоне — тропические ураганы. В этих чудовищных атмосферных вихрях скорость ветра достигает нескольких сотен километров в час. Самые мощные тропические ураганы свирепствуют в Карибском бассейне: например, в Мексиканском заливе и на островах Вест-Индии. Вест-индские тропические ураганы формируются в западной части океана в районе 10—15° с. ш. и перемещаются к Азорским островам и Ирландии. Далее к северу и югу следуют зоны субтропиков, где в самом холодном месяце температура понижается до 10 °C, а зимой холодные воздушные массы из полярных областей низкого давления приносят обильные осадки. В умеренных широтах средняя температура самого тёплого месяца держится в пределах 10—15 °C, а самого холодного −10 °C. Здесь также отмечают значительные суточные перепады температур. Для умеренного пояса характерны достаточно равномерно выпадающие в течение года осадки (около 1000 мм), достигающие максимума в осенне-зимний период, и частые свирепые штормы, за что южные умеренные широты прозваны «ревущими сороковыми». Изотерма 10 °C определяет границы Северного и Южного приполярных поясов. В Северном полушарии эта граница проходит в широкой полосе между 50° с. ш. (Лабрадор) и 70° с. ш. (побережье Северной Норвегии). В Южном полушарии приполярная зона начинается ближе к экватору — примерно 45—50° ю. ш. Самая низкая температура (-34 °C) была зарегистрирована в море Уэдделла[15].
Циркуляция поверхностных вод
.svg.png.webp)
Мощными носителями тепловой энергии выступают круговые поверхностные течения, расположившиеся по обе стороны от экватора: таковы, например, Северное Пассатное и Южное Пассатные течения, пересекающие океан с востока на запад. Северное Пассатное течение у Малых Антильских островов разделяется: на северную ветвь продолжаясь на северо-запад вдоль берегов Больших Антильских островов (Антильское течение) и на южную ветвь уходящую через проливы Малых Антильских островов в Карибское море, а далее через Юкатанский пролив вытекает в Мексиканский залив, и выходит из него через Флоридский пролив, образуя Флоридское течение. Последнее имеет скорость 10 км/ч и даёт начало знаменитому течению Гольфстрим. Гольфстрим, следуя вдоль американского побережья, на 40° с. ш. в результате воздействия западных ветров и силы Кориолиса приобретает восточное, а затем северо-восточное направление и получает название Северо-Атлантического течения. Основной поток вод Северо-Атлантического течения проходит между Исландией и Скандинавским полуостровом и вливается в Северный Ледовитый океан, смягчая климат в Европейском секторе Арктики. Из Северного Ледовитого океана вытекают два мощных потока холодных опреснённых вод — Восточно-Гренландское течение, проходящее вдоль восточного берега Гренландии, и Лабрадорское течение огибающее Лабрадор, Ньюфаундленд и проникающее на юг до мыса Хаттерас, оттесняя Гольфстрим от побережья Северной Америки[15].
Южное Пассатное течение частично заходит в Северное полушарие, а у мыса Сан-Роки разделяется на две части: одна из них уходит к югу, образуя Бразильское течение, другая поворачивает к северу, образуя Гвианское течение, которое уходит в Карибское море. Бразильское течение в районе Ла-Платы встречается с холодным Фолклендским течением (ответвлением течения Западных Ветров). Вблизи южного окончания Африки от течения Западных Ветров ответвляется холодное Бенгельское течение и двигаясь вдоль берега Юго-Западной Африки постепенно отклоняется к западу. В южной части Гвинейского залива это течение замыкает антициклонический круговорот Южного пассатного течения[15].
В Атлантическом океане существует несколько ярусов глубоководных течений. Под Гольфстримом проходит мощное противотечение, основной стрежень которого лежит на глубине до 3500 м, со скоростью 20 см/с. Противотечение идёт узким потоком в нижней части материкового склона, образование этого течения связано с донным стоком холодных вод из Норвежского и Гренландского морей. В экваториальной зоне океана открыто подповерхностное течение Ломоносова. Оно начинается от Антило-Гвианского противотечения и достигает Гвинейского залива. Мощное глубинное Луизианское течение наблюдается в восточной части Атлантического океана, образуемое придонным стоком более солёных и тёплых средиземноморских вод через Гибралтарский пролив[15].
К Атлантическому океану приурочены наибольшие величины приливов, которые отмечаются в фиордовых заливах Канады (в заливе Унгава — 12,4 м, в заливе Фробишер — 16,6 м) и Великобритании (до 14,4 м в Бристольском заливе). Самая большая величина прилива в мире зафиксирована в заливе Фанди, на восточном побережье Канады, где максимальный прилив достигает 15,6—18 м[14].
| Приход | Количество воды в тыс.км³ в год | Расход | Количество воды в тыс.км³ в год |
|---|---|---|---|
| Из Северного Ледовитого океана через проливы: Дейвиса, Датский, Фарерско-Исландский, Фарерско-Шетландский | 260 | В Северный Ледовитый океан через проливы: Девисов, Датский, Фарерско-Исландский, Фарерско-Шетландский | 225 |
| Из Средиземного моря через Гибралтарский пролив | 52 | В Средиземное море через Гибралтарский пролив | 55 |
| Из Тихого океана через пролив Дрейка с течением Западных Ветров (Антарктическим циркумполярным течением) | 3470 | В Тихий океан Из Атлантического океана через пролив Дрейка с Прибрежным антарктическим течением, глубинными и придонными водами | 210 |
| Из Индийского океана через разрез Африка — Антарктида (20°в.д.) с Прибрежным антарктическим течением, глубинными и придонными водами | 1692 | В Индийский океан через разрез Африка — Антарктида (20°в.д.) с течением Западных Ветров (Антарктическим циркумполярным течением) | 4976 |
| Осадки | 93 | Испарение | 125 |
| Речной сток | 20 | ||
| Подземный сток | 1 | ||
| Поступление от таяния арктических льдов | 2 | ||
| Поступление от таяния антарктических льдов | 1 | ||
| Всего | 5591 | Всего | 5591 |
Температура, солёность, лёдообразование
Колебание температур атлантических вод в течение года не велико: в экваториально-тропическом поясе — не более 1—3°, в субтропиках и умеренных широтах — в пределах 5—8°, в приполярных широтах — около 4° на севере и не более 1° на юге. Самые тёплые воды — в экваториальных и тропических широтах. Например, в Гвинейском заливе температура в поверхностном слое не снижается ниже 26 °C. В Северном полушарии к северу от тропиков температура поверхностного слоя понижается (на 60° с. ш. составляет в летнее время 10 °C). В Южном полушарии температуры возрастает значительно быстрее и на 60° ю. ш. колеблются около 0 °C. В целом океан в южном полушарии холоднее, чем в северном. В Северном полушарии западная часть океана холоднее восточной, в Южном — наоборот[15].
Наибольшая солёность поверхностных вод в открытом океане наблюдается в субтропической зоне (до 37,25 ‰), а максимум в Средиземном море — 39 ‰. В экваториальной зоне, где отмечено максимальное количество осадков, солёность снижается до 34 ‰. Резкое опреснение воды происходит в приустьевых районах (например, в устье Ла-Платы 18—19 ‰)[15].
Лёдообразование в Атлантическом океане происходит в Гренландском и Баффинова морях и приантарктических водах. Главным источником айсбергов в южной Атлантике является шельфовый ледник Фильхнера в море Уэдделла. На Гренландском побережье айсберги продуцируются выводными ледниками, например ледником Якобсхавн в районе острова Диско. Плавучие льды в Северном полушарии в июле достигают 40° с. ш. В Южном полушарии плавучие льды присутствуют в течение всего года вплоть до 55° ю. ш., достигая максимального распространения в сентябре—октябре. Суммарный вынос из Северного Ледовитого океана оценивается в среднем в 900 000 км³/год, с поверхности Антарктиды — 1630 км³/год[15].
Водные массы
Под воздействием ветра и конвективных процессов происходит вертикальное перемешивание воды в Атлантическом океане, охватывающее поверхностную толщу мощностью 100 м в Южном полушарии и до 300 м в тропиках и экваториальных широтах. Ниже слоя поверхностных вод, вне субантарктической зоны, в Атлантике расположена Антарктическая промежуточная вода, практически повсеместно отождествляющаяся с промежуточным минимумом солёности и характеризующаяся более высоким по отношению к вышележащим водам содержанием биогенных элементов, и распространяется на север до района 20° с. ш. на глубинах 0,7—1,2 км[15].
Особенностью гидрологической структуры восточной части Северной Атлантики является наличие промежуточной Средиземноморской водной массы, которая постепенно опускается на глубину от 1000 до 1250 м, переходя в глубинную водную массу. В Южном полушарии эта водная масса опускается до отметок 2500—2750 м и вклинивается южнее 45° ю. ш. Главная особенность этих вод — высокая солёность и температура по отношению к окружающим водам. В придонном слое Гибралтарского пролива отмечается солёность до 38 ‰, температура до 14 °C, но уже в Кадисском заливе, где средиземноморские воды выходят на глубины своего существования в Атлантическом океане, их солёность и температура в результате смешения с фоновыми водами понижаются до 36 ‰ и 12—13 °C соответственно. На периферии области распространения её солёность и температура составляют, соответственно, 35 ‰ и около 5 °C. Под Средиземноморской водной массой в Северном полушарии формируется северо-атлантическая глубинная вода, которая опускается в результате зимнего охлаждения сравнительно солёных вод в Северо-Европейском бассейне и море Лабрадор до глубины 2500—3000 м в Северном полушарии и до 3500—4000 м в Южном полушарии, доходя примерно до 50° ю. ш. Северо-атлантическая глубинная вода отличается от выше- и нижележащих антарктических вод повышенной солёностью, температурой и содержанием кислорода, а также пониженным содержанием биогенных элементов[15]. Антарктическая донная водная масса формируется близ антарктического склона в результате смешения холодной и тяжёлой антарктической шельфовой воды с более лёгкими и тёплыми и более солёными Циркумполярными глубинными водами. Эти воды, распространяясь из моря Уэдделла, переваливая через все орографические препятствия до 40° с. ш., имеют температуру менее минус 0,8 °C на севере этого моря, 0,6 °C у экватора и 1,8 °C у Бермудских островов. Арктическая донная водная масса имеет пониженные значения солёности по сравнению с вышележащими водами и в Южной Атлантике характеризуется повышенным содержанием биогенных элементов[15].
Флора и фауна
- См.также: категория «Фауна Атлантического океана»
Донная флора северной части Атлантики представлена бурыми (в основном фукоиды, а в сублиторальной зоне — ламинарией и алярией) и красными водорослями. В тропической зоне преобладают зелёные (каулерпа), красные (известковые литотамнии) и бурые водоросли (саргассовые). В Южном полушарии донная растительность в основном представлена ламинариями. Фитопланктон Атлантического океана насчитывает 245 видов: перидиней, кокколитофориды, диатомовые. Последние имеют чётко выраженное зональное распространение, максимальное количество их обитает в умеренных широтах Северного и Южного полушарий. Наиболее плотно население диатомовых — в полосе течения Западных Ветров[15].
![]() | ![]() | ![]() | ![]() |
| Синий кит у берегов Исландии | Коралловые рифы у острова Иерро. Канарские острова | Колония королевских пингвинов на острове Южная Георгия | Альбатрос у берегов Рио-де-Жанейро |
Распределение животного мира Атлантического океана имеет ярко выраженный зональный характер. В субантарктических и антарктических водах из рыб имеют промысловое значение нототении, путассу и другие. Бентос и планктон в Атлантике бедны и видами, и биомассой. В субантарктической зоне и в прилегающей полосе умеренной зоны биомасса достигает максимума. В зоопланктоне преобладают веслоногие рачки, птероподы, в нектоне — из млекопитающих киты (синий кит), ластоногие, из рыб — нототениевые. В тропическом поясе зоопланктон представлен многочисленными видами фораминифер и птеропод, несколькими видами радиолярий, веслоногими, личинками моллюсков и рыб, а также сифонофорами, различными медузами, крупными головоногими (кальмары), а в числе бентальных форм — осьминогами. Промысловые рыбы представлены макрелью, тунцами, сардинами, в областях холодных течений — анчоусами. К тропическим и субтропическим зонам приурочены кораллы. Умеренные широты Северного полушария характеризуются обильной жизнью при сравнительно небольшом разнообразии видов. Из промысловых рыб наибольшее значение имеют сельдь, треска, пикша, палтус, морской окунь. Для зоопланктона наиболее характерны фораминиферы, копеподы. Наибольшее обилие планктона в районе Ньюфаундлендской банки и Норвежского моря. Глубоководная фауна представлена ракообразными, иглокожими, специфическими видами рыб, губками, гидроидами. В жёлобе Пуэрто-Рико обнаружено несколько видов эндемичных полихет, изопод и голотурий[15].
Экологические проблемы
Атлантический океан является с незапамятных времён местом интенсивного морского рыбного и зверобойного промысла. Резкое возрастание мощностей и революция в технике рыбного лова привели к угрожающим масштабам. С изобретением гарпунной пушки в северной Атлантике киты были в основном истреблены ещё в конце XIX века. В связи с массовым развитием пелагического китобойного промысла в антарктических водах в середине XX века киты здесь также были близки к полному истреблению[15]. С сезона 1985—1986 годов Международной комиссией по промыслу китов был введён полный мораторий на коммерческий китобойный промысел любых видов. В июне 2010 года на 62-м заседании Международной Китобойной Комиссии под давлением Японии, Исландии и Дании мораторий был приостановлен[16].

вид из космоса
Взрыв на нефтяной платформе Deepwater Horizon, принадлежащей британской компании BP, произошедший 20 апреля 2010 года, считается самой крупной экологической катастрофой, которая когда-либо происходила на море. В результате аварии в воды Мексиканского залива вылилось около 5 миллионов баррелей сырой нефти, загрязнено 1100 миль побережья. Властями введён запрет на рыбную ловлю, для промысла закрыты более трети всей акватории Мексиканского залива[17]. По состоянию на 2 ноября 2010 года было собрано 6814 мёртвых животных, в том числе 6104 птицы, 609 морских черепах, 100 дельфинов и других млекопитающих, и 1 другая рептилия[18]. По данным Управления особо охраняемых ресурсов Национального управления океанических и атмосферных управлений в 2010—2011 годы зафиксировано повышение смертности китообразных на севере Мексиканского залива в несколько раз по сравнению с предыдущими годами (2002—2009 годы)[19].
В Саргассовом море образовалось большое мусорное пятно из пластика и других отходов, сформированное океаническими течениями, постепенно концентрирующими в одной области выброшенный в океан мусор[20]. На дне Средиземного моря недалеко от берегов Италии обнаружена самая большая концентрация микропластика в морях. Здесь на один м² дна приходится до 1,9 миллионов пластмассовых частиц, в основном волокон синтетических тканей и мелких кусочков более крупных пластиковых предметов. Микропластик накапливается в разных частях моря из-за быстрых течений. Эти частицы очень маленькие, поэтому они, попадая в стремительные подводные потоки, быстро переносятся на дно[21].
В некоторых районах Атлантического океана наблюдается радиоактивное загрязнение. Отходы атомных электростанций и исследовательских центров сбрасываются в реки и прибрежные воды морей, а иногда в глубоководные части океана. К числу сильно загрязнённых радиоактивными отходами акваторий Атлантического океана относятся Северное, Ирландское, Средиземное моря, Мексиканский, Бискайский заливы и Атлантическое побережье США. Только в 1977 году в Атлантику было сброшено 7180 контейнеров с 5650 т радиоактивных отходов. Агентство по защите окружающей среды США сообщило о заражении морского дна в 120 милях к востоку от границы между штатами Мэриленд и Делавэр. Там в течение 30 лет захоронены 14 300 зацементированных контейнера, которые содержали плутоний и цезий, радиоактивное загрязнение превысило «ожидаемое» в 3—70 раз. В 1970 году США затопили в 500 км от побережья Флориды судно «Рассел-Бриге», на борту которого находилось 68 т нервно-паралитического газа (зарина), помещённого в 418 бетонных контейнерах. В 1972 году в водах океана севернее Азорских островов Германия затопила 2500 металлических бочек с промышленными отходами, содержащими сильнодействующие цианистые яды. Известны случаи быстрого разрушения контейнеров в сравнительно неглубоких водах Северного и Ирландского морей и пролива Ла-Манш с самыми пагубными последствиями для фауны и флоры акваторий. В водах северной Атлантики затонули 4 атомные подводные лодки: 2 советские (в Бискайском заливе и открытой части океана) и 2 американские (у берегов США и в открытой части океана)[22].
Государства побережья Атлантического океана
На берегах Атлантического океана и входящих в его состав морях находятся государства и зависимые территории:
- в Европе (с севера на юг): Исландия, Норвегия, Швеция, Финляндия, Российская Федерация, Эстония, Латвия, Литва, Польша, Федеративная Республика Германии, Дания, Нидерланды, Бельгия, Великобритания, Ирландия, Остров Мэн (владение Великобритании), Джерси (владение Великобритании), Гернси (владение Великобритании), Франция, Испания, Португалия, Гибралтар (владение Великобритании), Италия, Мальта, Словения, Хорватия, Босния и Герцеговина, Черногория, Албания, Греция, Турция, Болгария, Румыния, Украина, Грузия;
- в Азии: Кипр, Турецкая Республика Северного Кипра (частично признанное государство), Акротири и Декелия (владение Великобритании), Сирия, Ливан, Израиль, Палестинская автономия (частично признанное государство);
- в Африке: Египет, Ливия, Тунис, Алжир, Марокко, Сахарская Арабская Демократическая Республика (не признана ООН), Мавритания, Сенегал, Гамбия, Кабо-Верде, Гвинея-Бисау, Гвинея, Сьерра-Леоне, Либерия, Кот-д’Ивуар, Гана, Того, Бенин, Нигерия, Камерун, Экваториальная Гвинея, Сан-Томе и Принсипи, Габон, Республика Конго, Ангола, Демократическая Республика Конго, Намибия, Южно-Африканская Республика, остров Буве (владение Норвегии), Острова Святой Елены, Вознесения и Тристан-да-Кунья (владение Великобритании);
- в Южной Америке (с юга на север): Чили, Аргентина, Южная Георгия и Южные Сандвичевы Острова (владение Великобритании), Фолклендские острова (владение Великобритании), Уругвай, Бразилия, Суринам, Гайана, Венесуэла, Колумбия, Панама;
- в Карибском бассейне: Американские Виргинские острова (владение США), Ангилья (владение Великобритании), Антигуа и Барбуда, Багамские Острова, Барбадос, Британские Виргинские острова (владение Великобритании), Гаити, Гренада, Доминика, Доминиканская Республика, Каймановы острова (владение Великобритании), Куба, Монтсеррат (владение Великобритании), Навасса (владение США), Пуэрто-Рико (владение США), Сент-Винсент и Гренадины, Сент-Китс и Невис, Сент-Люсия, Теркс и Кайкос (владение Великобритании), Тринидад и Тобаго, Ямайка;
- в Северной Америке: Коста-Рика, Никарагуа, Гондурас, Гватемала, Белиз, Мексика, Соединённые Штаты Америки, Бермудские Острова (владение Великобритании), Канада.
История исследования Атлантического океана европейцами
Задолго до эпохи великих географических открытий просторы Атлантики бороздили многочисленные суда. Ещё 4000 лет до нашей эры народы Финикии вели морскую торговлю с жителями островов Средиземного моря. В более позднее время с VI века до нашей эры финикийцы, по свидетельствам греческого историка Геродота, совершали походы вокруг Африки, а через Гибралтарский пролив и вокруг Пиренейского полуострова достигали Британских островов. К VI веку до нашей эры Древняя Греция, располагая громадным по тому времени военным купеческим флотом, плавала к берегам Англии и Скандинавии, в Балтийском море и к западному побережью Африки. В X—XI веках викинги, по мнению большинства исследователей доколумбовых открытий, первыми и не раз переплывали океан, достигнув берегов Американского континента (они называли его Винландом), открыв Гренландию и Лабрадор[23].
В XV веке испанские и португальские мореплаватели начали совершать далёкие плавания в поисках путей в Индию и Китай. В 1488 году португальская экспедиция Бартоломеу Диаша достигла мыса Доброй Надежды и обогнула Африку с юга. В 1492—1498 годах экспедиции Христофора Колумба нанесли на карту многие острова Карибского бассейна, огромный материк, позднее названный Америкой. В конце XV века соперничество между Испанией и Португалией за господство в Атлантике обострилось настолько, что в конфликт был вынужден вмешаться Ватикан. В 1494 году был подписан договор[24], которым вдоль 48—49° западной долготы устанавливался т. н. «папский меридиан». Все земли к западу от него были отданы Испании, а к востоку — Португалии. Эта условная линия пересекала Южную Америку на востоке.

В 1497 году Васко да Гама прошёл из Европы в Индию, обогнув Африку с юга. Америго Веспуччи в составе экспедиции Алонсо де Охеда ступил на берег Суринама в 1499 году. 22 апреля 1500 года плывшим в Индию Педру Алварешем Кабралом была открыта Бразилия. В 1520 году Фернан Магеллан во время первого кругосветного плавания прошёл Магеллановым проливом из Атлантического в Тихий океан. В XVI столетии по мере освоения колониальных богатств волны Атлантики начали регулярно бороздить корабли, перевозившие в Европу золото, серебро, драгоценные камни, перец, какао и сахар. В Америку тем же путём доставлялось оружие, ткани, спиртное, продукты и рабы для плантаций хлопка и сахарного тростника. Неудивительно, что в XVI—XVII веках в этих краях процветал пиратский промысел и каперство, а многие знаменитые пираты, такие как Джон Хокинс, Фрэнсис Дрейк и Генри Морган, вписали свои имена в историю.
Южная граница Атлантического океана (шельфовые ледники Антарктиды) была открыта в 1820 году во время первой русской антарктической экспедиции Ф. Ф. Беллинсгаузена и М. П. Лазарева[23].
Первые попытки изучения морского дна были предприняты в 1779 году близ берегов Дании, а начало серьёзным научным исследованиям положила в 1803—1806 годах первая русская кругосветная экспедиция под началом морского офицера Ивана Крузенштерна[25]. Измерения температуры на различных глубинах проводили Дж. Кук (1772 год), О. Соссюром (1780 год), и другие. Участники последующих походов провели замеры температуры и удельного веса воды на разных глубинах, взяли пробы прозрачности воды и установили наличие подводных течений. Собранный материал позволил составить карту Гольфстрима (Б. Франклин, 1770), карту глубин северной части Атлантического океана (М. Ф. Мори, 1854), а также карты ветров и течений океана (М. Ф. Мори, 1849—1860) и провести другие исследования[26].
С 1872 по 1876 годы проходила первая научная океаническая экспедиция на английском парусно-паровом корвете «Челленджер», были получены новые данные о составе вод океана, о растительном и животном мирах, о рельефе дна и грунтах, составлена первая карта глубин океана и собрана первая коллекция глубоководных животных, в результате которых был собран обширный материал, изданный в 50 томах[27]. За ней последовали экспедиции на российском парусно-винтовом корвете «Витязь» (1886—1889), на немецких судах «Вальдивия» (1898—1899) и «Гаусс» (1901—1903) и другие[26]. Наиболее крупные работы были проведены на английском корабле «Дисковери-II» (с 1931), благодаря которым выполнены океанографические и гидробиологические исследования в открытой части Южной Атлантики на больших глубинах[28]. В рамках Международного геофизического года (1957—1958) международными силами (особенно США и СССР) были проведены исследования, в результате которых составлены новые батиметрические и морские навигационные карты Атлантического океана[29]. Межправительственной океанографической комиссией в 1963—1964 годах была проведена крупная экспедиция по исследованию экваториальной и тропической зоны океана, в которой приняли участие СССР (на кораблях «Витязь», «Михаил Ломоносов», «Академик Курчатов» и других), США, Бразилия и другие страны[26].
В последние десятилетия проводились многочисленные измерения океана с космических спутников. Результатом явился выпущенный в 1994 году Американским Национальным Центром геофизических данных батиметрический атлас океанов с разрешением карт 3—4 км и точностью глубины ±100 м[30].
Экономическое значение
Рыболовство и морские промыслы
Атлантический океан даёт 2/5 мирового улова и доля его с годами уменьшается. В субантарктических и антарктических водах промысловое значение имеют нототении, путассу и другие, в тропическом поясе — макрель, тунцы, сардина, в областях холодных течений — анчоусы, в умеренных широтах Северного полушария — сельдь, треска, пикша, палтус, морской окунь. В 1970-х годах вследствие перелова некоторых видов рыб объёмы промысла резко сократились, но после введения строгих лимитов рыбные запасы понемногу восстанавливаются[15]. В бассейне Атлантического океана действует несколько международных конвенций по рыболовству, ставящих своей целью эффективное и рациональное использование биологических ресурсов, на основе применения научно обоснованных мер по регламентации промысла[26]. Регулируется рыболовными соглашениями по северо-западной и юго-западной Атлантике.
Транспортные пути
Атлантический океан занимает ведущее место в мировом судоходстве. Большая часть путей ведёт из Европы в Северную Америку. Основные судоходные проливы Атлантического океана: Босфор и Дарданеллы, Гибралтарский, Ла-Манш, Па-де-Кале, Балтийские проливы (Скагеррак, Каттегат, Эресунн, Большой и Малый Бельт), Датский, Флоридский. Атлантический океан соединён с Тихим океаном искусственным Панамским каналом, прорытым между Северной и Южной Америками по Панамскому перешейку, а также с Индийским океаном искусственным Суэцким каналом через Средиземное море. Крупнейшие порты: Санкт-Петербург (генеральные грузы, нефтепродукты, металлы, лесные грузы, контейнеры, уголь, руда, химические грузы, металлолом), Гамбург (машины и оборудование, химическая продукция, сырьё для металлургии, нефть, шерсть, лес, продовольствие), Бремен, Роттердам (нефть, природный газ, руды, удобрения, оборудование, продовольствие), Антверпен, Гавр (нефть, оборудование), Филикстоу, Валенсия, Альхесирас, Барселона, Марсель (нефть, руда, зерно, металлы, химические грузы, сахар, фрукты и овощи, вино), Джоя-Тауро, Марсашлокк, Стамбул, Одесса (сахар-сырец, контейнеры), Мариуполь (уголь, руда, зерно, контейнеры, нефтепродукты, металлы, лес, продовольствие), Новороссийск (нефть, руда, цемент, зерно, металлы, оборудование, продовольствие), Батуми (нефть, генеральные и навалочные грузы, продовольствие), Бейрут (вывоз: фосфориты, фрукты, овощи, шерсть, лес, цемент, ввоз: машины, удобрения, чугун, строительные материалы, продовольствие), Порт-Саид, Александрия (вывоз: хлопок, рис, руды, ввоз: оборудование, металлы, нефтепродукты, удобрения), Касабланка (вывоз: фосфориты, руды, цитрусовые, пробка, продовольствие, ввоз: оборудование, ткани, нефтепродукты), Дакар (вывоз:земляной орех, финики, хлопок, скот, рыба, руды, ввоз: оборудование, нефтепродукты, продовольствие), Кейптаун, Буэнос-Айрес (вывоз: шерсть, мясо, зерно, кожа, растительное масло, льняное семя, хлопок, ввоз: оборудование, железная руда, уголь, нефть, промышленные товары), Сантус, Рио-де-Жанейро (вывоз: железная руда, чугун, кофе, хлопок, сахар, какао-бобы, пиломатериалы, мясо, шерсть, кожа, ввоз: нефтепродукты, оборудование, уголь, зерно, цемент, продовольствие), Хьюстон (нефть, зерно, сера, оборудование), Новый Орлеан (руды, уголь, строительное сырьё, автомобили, зерно, прокат, оборудование, кофе, фрукты, продовольствие), Саванна, Нью-Йорк (генеральные грузы, нефть, химические грузы, оборудование, целлюлоза, бумага, кофе, сахар, металлы), Монреаль (зерно, нефть, цемент, уголь, лес, металлы, бумага, асбест, вооружение, рыба, пшеница, оборудование, хлопок, шерсть)[31][32].
Главенствующую роль в пассажирском сообщении между Европой и Северной Америкой через Атлантический океан играет авиационное сообщение. Большая часть трансатлантических линий проходит в Северной Атлантике через Исландию и Ньюфаундленд. Другое сообщение идёт через Лиссабон, Азорские и Бермудские острова. Авиатрасса из Европы в Южную Америку проходит через Лиссабон, Дакар и далее через самую узкую часть Атлантического океана в Рио-де-Жанейро. Авиалинии из США в Африку проходят через Багамские острова, Дакар и Робертспорт[26]. На берегу Атлантического океана находятся космодромы: Мыс Канаверал (США), Куру (Французская Гвиана), Алкантара (Бразилия).
![]() | ![]() | ![]() | ![]() |
| Контейнеровоз в порту Гамбурга (Германия) | Нефтяная платформа Development Driller II в Мексиканском заливе | Добыча соли на островах Кабо-Верде | Круизное судно Sea Diamond в порту Стокгольма (Швеция) |
Полезные ископаемые
Добыча полезных ископаемых, в первую очередь нефти и газа, ведётся на материковых шельфах. Нефть добывают на шельфах Мексиканского залива, Карибского моря, Северного моря, Бискайского залива, Средиземного моря, Гвинейского залива. На шельфе Северного моря также ведётся добыча природного газа. В Мексиканском заливе ведут промышленную добычу серы, а у острова Ньюфаундленд — железной руды. Из морских россыпей на материковом шельфе Южной Африки добывают алмазы. Следующую по значению группу минеральных ресурсов образуют прибрежные месторождения титана, циркония, олова, фосфоритов, монацита и янтаря. С морского дна также добывают уголь, барит, песок, гальку и известняк[26].
На берегах морей Атлантического океана построены приливные электростанции: «Ля Ранс» на реке Ранс во Франции, «Аннаполис» в заливе Фанди в Канаде, «Хаммерфест» в Норвегии[26].
Рекреационные ресурсы
Рекреационные ресурсы Атлантического океана характеризуются значительным разнообразием. Основными странами формирования выездного туризма в этом регионе формируются в Европе (Германия, Великобритания, Франция, Италия, Нидерланды, Бельгия, Австрия, Швеция, Российская Федерация, Швейцария и Испания), Северной (США и Канада) и Южной Америке[33]. Основные рекреационные зоны: Средиземноморское побережье Южной Европы и Северной Африки, побережья Балтийского и Чёрного морей, полуостров Флорида, острова Куба, Гаити, Багамские, районы городов и городских агломераций Атлантического побережья Северной и Южной Америки. В последнее время растёт популярность таких стран Средиземноморья, как Турция, Хорватия, Египет, Тунис и Марокко[34]. Среди стран Атлантического океана с наибольшим потоком туристов (по данным на 2010 год Всемирной туристской организации) выделяются: Франция (77 миллионов посещений в год), США (60 миллионов), Испания (53 миллионов), Италия (44 миллиона), Великобритания (28 миллионов), Турция (27 миллионов), Мексика (22 миллиона), Украина (21 миллион), Российская Федерация (20 миллионов), Канада (16 миллионов), Греция (15 миллионов), Египет (14 миллионов), Польша (12 миллионов), Нидерланды (11 миллионов), Марокко (9 миллионов), Дания (9 миллионов), Южная Африка (8 миллионов), Сирия (8 миллионов), Тунис (7 миллионов), Бельгия (7 миллионов), Португалия (7 миллионов), Болгария (6 миллионов), Аргентина (5 миллионов), Бразилия (5 миллионов)[35].
Примечания
- Поспелов Е. М. Географические названия мира: Топонимический словарь. — 2-е изд., стереотип. — М.: Русские словари, Астрель, АСТ, 2001. — С. 24.
- Земноводный глобус без Америки. До и после великих открытий. leninka-ru.livejournal.com. Дата обращения: 25 декабря 2019.
- Краткое руководство к математической и натуральной географіи: с …. books.google.ru. Дата обращения: 25 декабря 2019.
- Руководство к математической и физической географіи: с употребленіем земнаго …. books.google.ru. Дата обращения: 25 декабря 2019.
- Kurze Einleitung zur mathmatischen und natürlichen Geographie: nebst dem …. books.google.ru. Дата обращения: 25 декабря 2019.
- Lehrbuch der Erdbeschreibung: zur Erläuterung des neuen methodischen …. books.google.ru. Дата обращения: 25 декабря 2019.
- Новое всеобщее землеописание, для употребления в училищах: Первый курс. books.google.ru. Дата обращения: 25 декабря 2019.
- Атлас океанов. Термины, понятия, справочные таблицы.— М.: ГУНК МО СССР, 1980. С. 84—85
- Физическая география материков и океанов / Под общей ред. А. М. Рябчикова. — М.: Высшая школа, 1988. — С. 535—540.
- Большая Российская энциклопедия. Т.11. — М.: Большая Российская энциклопедия, 2008. — С. 228.
- Большая Российская энциклопедия. Т. 2. — М.: Большая Российская энциклопедия, 2005. — С. 445.
- Ушаков С. А., Ясаманов Н. А. Дрейф материков и климаты Земли. — М.: Мысль, 1984. — С. 142—191.
- Ушаков С. А., Ясаманов Н. А. Дрейф материков и климаты Земли. — М.: Мысль, 1984. — С. 10—15.
- Каплин П. А., Леонтьев О. К., Лукьянова С. А., Никифоров Л. Г. Берега. — М.: Мысль, 1991. — С. 130—135.
- Физическая география материков и океанов / Под общей ред. А. М. Рябчикова. — М.: Высшая школа, 1988. — С. 540—546.
- Япония, Исландия и Дания продолжат убивать китов (недоступная ссылка). BuenoLatina. Дата обращения: 18 мая 2012. Архивировано 20 января 2011 года.
- Завершается работа по очистке от нефти побережья Мексиканского залива. РИА Новости (27 марта 2011). Дата обращения: 18 мая 2012. Архивировано 27 мая 2012 года.
- Deepwater Horizon Response Consolidated Fish and Wildlife Collection Report (англ.) (2 ноября 2010). Дата обращения: 18 мая 2012. Архивировано 27 мая 2012 года.
- 2010-2012 Cetacean Unusual Mortality Event in Northern Gulf of Mexico (англ.) (недоступная ссылка). NOAA Fisheries Office of Protected Resources (18 марта 2012). Дата обращения: 18 мая 2012. Архивировано 21 мая 2012 года.
- Мусорный остров в Тихом Океане (недоступная ссылка). ECOlogoFF.Ru. Дата обращения: 18 мая 2012. Архивировано 30 октября 2014 года.
- Обнаружена самая большая концентрация микропластика в море. Информационный новостной портал «Evo-rus». Дата обращения: 4 мая 2020.
- Мировой океан под угрозой. NPLit.ru: Библиотека юного исследователя. Дата обращения: 21 июня 2012.
- Серебряков В. В. География морских путей. — М.: Транспорт, 1981. — С. 7—30.
- Тордесильясский договор между королями Испании и Португалии о разделе мира 7 июня 1494 г.. Восточная литература. Дата обращения: 13 марта 2009.
- Крузенштерн И. Ф. Путешествие вокруг света в 1803, 1804, 1805 и 1806 годах на кораблях «Надежда» и «Нева». — М.: Изд. дом «Дрофа», 2007.
- Российские универсальные энциклопедии Брокгауз-Ефрон и Большая Советская Энциклопедия объединенный словник. gatchina3000.ru. Дата обращения: 13 июня 2012.
- Челленджер (недоступная ссылка). Океанология. Океанография - изучение, проблемы и ресурсы мирового океана. Дата обращения: 8 февраля 2012. Архивировано 11 октября 2012 года.
- Комитет «Дискавери» (недоступная ссылка). Секрет Энигмы. Дата обращения: 18 июня 2012. Архивировано 23 июня 2012 года.
- Международный геофизический год (недоступная ссылка). Электронная энциклопедия Pochemy.net. Дата обращения: 8 февраля 2012. Архивировано 12 января 2013 года.
- 3.5 Батиметрические карты и базы данных (недоступная ссылка). Океанология. Океанография - изучение, проблемы и ресурсы мирового океана. Дата обращения: 8 февраля 2012. Архивировано 3 февраля 2014 года.
- Серебряков В. В. География морских путей. — М.: Транспорт, 1981. — С. 69—187.
- WORLD PORT RANKING - 2008. Дата обращения: 23 июля 2012. Архивировано 4 августа 2012 года.
- Основные черты географии туризма (недоступная ссылка). Страны и континенты. Дата обращения: 18 мая 2012. Архивировано 19 мая 2012 года.
- Рекреационные ресурсы (недоступная ссылка). Страны и континенты. Дата обращения: 18 мая 2012. Архивировано 19 мая 2012 года.
- UNWTO World Tourism Barometer. 2011 edition (недоступная ссылка). Всемирная туристская организация ЮНВТО. Дата обращения: 18 мая 2012. Архивировано 25 мая 2012 года.
Литература
- Атлас океанов. Термины, понятия, справочные таблицы. — М.: ГУНК МО СССР, 1980.
- Физическая география материков и океанов / Под общей ред. А. М. Рябчикова. — М.: Высшая школа, 1988.
- Просвиров Е. С. Ядовитые и опасные рыбы тропических вод Атлантики. — М., 2007.
- Перлмуттер А. Руководство по определению морских рыб (Атлантического побережья США). — М., 1970.












.jpg.webp)
_2011-08-13_79.jpg.webp)




