Pella limbata
Pella limbata (лат.) — вид мирмекофильных жуков-стафилинид рода Pella из трибы Lomechusini (подсемейство Aleocharinae). Ранее рассматривался в составе Zyras[1][2][3].
Pella limbata | ||||||||||||||||||||||||||||
|---|---|---|---|---|---|---|---|---|---|---|---|---|---|---|---|---|---|---|---|---|---|---|---|---|---|---|---|---|
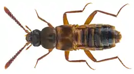
![]() Жук Pella limbata | ||||||||||||||||||||||||||||
| Научная классификация | ||||||||||||||||||||||||||||
|
||||||||||||||||||||||||||||
| Латинское название | ||||||||||||||||||||||||||||
| Pella limbata (Paykull, 1789) | ||||||||||||||||||||||||||||
| Синонимы[1] | ||||||||||||||||||||||||||||
| ||||||||||||||||||||||||||||
|
Описание
Длина вытянутого тела 4,8—6,3 мм (бока субпараллельные), длина головы 0,69—0,79 мм. Основная окраска коричневая. Усики 11-члениковые. Голова фронтально округлая, с затылочным швом, без шеи. Длина глаз составляет 0,35—0,56 от ширины головы. Переднеспинка и надкрылья покрыты щетинками. Задние крылья развиты. Формула лапок (число члеников в передних, средних и задних ногах): 4—5—5. Лигула без щетинок, но с сенсиллами. Характерны мирмекофильные связи с муравьями, падальщики и хищники. Обнаружены на муравьиных тропинках, внутри или около муравейников Lasius fuliginosus, Lasius brunneus, Lasius flavus. Вид был впервые описан в 1789 году шведским натуралистом Густавом Пайкулем, а его валидный статус подтверждён в ходе родовой ревизии в 2006 году японским колеоптерологом М. Мураямой (Munetoshi Maruyama; Department of Zoology, National Science Museum, Токио, Япония)[1][2].
Примечания
- Maruyama, Munetoshi. Revision of the Palearctic species of the myrmecophilous genus Pella (Coleoptera, Staphylinidae, Aleocharinae) (англ.) // National Science Museum monographs : Журнал. — 2006. — P. 1-207. — ISSN 1342-9574.
- Hlaváč, P.; Jászay, T. A revision of the genus Zyras (Zyras) Stephens, 1835 (Coleoptera, Staphylinidae, Aleocharinae). I. Current classification status and the redefinition of the genus // ZooKeys : Журнал. — 2009. — Vol. 29. — P. 49-71. doi:10.3897/zookeys.29.218 (англ.) (Дата обращения: 20 мая 2012)
- Hlaváč, P.; Newton, A.F.; Maruyama, M. World catalogue of the species of the tribe Lomechusini (Staphylinidae: Aleocharinae) (англ.) // Zootaxa : Журнал. — Auckland, New Zealand: Magnolia Press, 2011. — Vol. 3075. — P. 1-151. — ISSN 1175-5326. (англ.) (Дата обращения: 20 мая 2012)
Литература
Ссылки
- Zyras limbatus Paykull, 1789 на сайте ЗИН РАН
- Pella. eol.org
- Pella. biolib.cz
_(20783424109).png.webp)