Lomechusini
Lomechusini (лат.) — триба жуков-стафилинид из подсемейства Aleocharinae. Более 2200 видов и 200 родов. Мирмекофилы и термитофилы[1].
| Lomechusini | ||||||||||
|---|---|---|---|---|---|---|---|---|---|---|
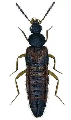
![]() Жук Lomechusa pubicollis | ||||||||||
| Научная классификация | ||||||||||
|
Домен: Царство: Подцарство: Без ранга: Без ранга: Без ранга: Без ранга: Тип: Подтип: Надкласс: Класс: Подкласс: Инфракласс: Надотряд: Отряд: Подотряд: Инфраотряд: Надсемейство: Семейство: Подсемейство: Триба: Lomechusini |
||||||||||
| Международное научное название | ||||||||||
| Lomechusini Fleming, 1821 | ||||||||||
| Синонимы | ||||||||||
|
Синонимы[1]
|
||||||||||
| ||||||||||



Распространение
Распространены всесветно, однако большая часть родов встречаются только в одном зоогеографическом регионе. Наибольшее родовое разнообразие отмечено в Афротропике (122 рода и подрода), Ориентальной области (84) и Неотропике (60).[1]
Описание
Для большей части видов характерны мирмекофильные и термитофильные связи с муравьями и термитами, соответственно. Известно несколько пещерных родов: Anopsapterus, Apteranillus, Apteraphaenops и Typhlozyras (Hlaváč et al., 2006[2], Lecoq & Quéinnec, 2005)[3], все из северной Африки (Алжир и Марокко). Ломехуза и многие другие роды этой трибы алеохарин, ассоциированы с муравьями[1].
Большинство мирмекофильных Lomechusini связаны с кочевыми муравьями подсемейств Dorylinae (Африка и Азия) и Ecitoninae (тропическая и субтропическая Америка). Муравьи Ecitoninae являются хозяевами для более чем 130 видов и 30 родов ломехузин (Dinocoryna, Dromacamatus, Dromeciton, Ecitana, Ecitocerus, Ecitocryptodes, Ecitocryptus, Ecitodiscus, Ecitodonia, Ecitoglossa, Ecitonia, Ecitonilla, Ecitophila, Ecitophiletus, Ecitophrura, Ecitoplectus, Ecitopolites, Ecitopora, Ecitophlyus, Ecitoxenidia, Falagonilla, Gallardoia, Labidilla, Labidoculex, Microdonia, Scotodonia, Tetradonia, Typhlonusa, Wasmannina, Zyras)[1].
Термитофильными являются несколько узкоспециализированных родов ломехузин и подтриба Termitozyrina.[1] Некоторые виды (например, Coatonachthodes ovambolandicus) обладают сходством во внешнем виде с термитами.[4]
Морфологически разнообразная триба, чаще характеризуемая набором следующих признаков: средние тазики широко расставленные, вытянутая галеа, формула лапок 4-5-5, метавентральный выступ много длиннее, чем мезовентральный выступ, который простирается немного между средними тазиками[5].
Систематика
207 родов и более 2200 видов и подвидов в 3 подтриба (ранее в 4): Lomechusina (3 рода, 40 видов и подвидов), Termitozyrina (11 родов, 16 видов) и Myrmedoniina (193 рода и 2149 видов и подвидов). 37,5 % всех видов и подвидов трибы (826) описано в крупнейшем роде Zyras (более 50 подродов). Среди крупнейших родов: Drusilla (187 видов и подвидов, 8,5 %) и Orphnebius (148 видов, 6,7 %)[1]/
Триба Lomechusini Fleming, 1821 (= Myrmedoniini Thomson, 1867)
- Подтриба Aenictobiina Kistner, 1997
- Aenictobia Seevers, 1953
- Aenictosymbia Maruyama, 2014
- Dentaphila Kistner, 1997
- Tobiisima Kistner, 1997
- Trichotobia Kistner, 1997
- Подтриба Lomechusina Fleming, 1821
- Lomechusa Gravenhorst, 1806
- Lomechusoides Tottenham, 1939 (Lomechusoides strumosus)
- Xenodusa Wasmann, 1894
- Подтриба Myrmedoniina C.G. Thomson 1867 (=Zyrasina Bradley, 1930)
- Abothrus Pace, 1991 — 0 species
- Acanthastilbus Cameron, 1939 — 1 species
- Aenictocleptis Kistner & Jacobson, 1975
- Aenictonia Wasmann, 1900
- Aenictophila Seevers, 1965
- Aenictozyras Kistner & Jacobson, 1975
- Allardiana Levasseur, 1966
- Allodinarda Wasmann, 1909
- Allodonota
- Amaurodera Fauvel, 1905
- Amazoncharis Pace, 1990
- Amblyoponiphilus Oke, 1933
- Anepipleuronia Bernhauer, 1929
- Ankaratraella Pace, 1999
- Anommatochara Wasmann, 1915
- Anopsapterus Lecoq, 1988
- Anthropeltodonia Bernhauer, 1937
- Apalonia Casey, 1906
- Apteranillus Fairmaire, 1854
- Apteraphaenops Jeannel, 1907
- Asheidium
- Astilbides Wasmann, 1916
- Athexenia Pace, 1999
- Aulacocephalonia Bernhauer, 1928
- Borneozyras Pace, 2002
- Bothriocrata Pace, 1993
- Brachypteronia Bernhauer, 1929
- Camerouniella Levasseur, 1967
- Cantaloubeia Levasseur, 1966
- Catarractodes Strand, 1928
- Chaetosogonocephus Pace, 1987
- Chlorotusa Casey, 1906 -> Tetradonia
- Conradsia Bernhauer, 1942
- Creodonia Wasmann, 1915
- Dabra Olliff, 1886
- Dabrosoma Lea, 1910
- Degalliera Kistner, 1993
- Dentazyras Kistner, 1997
- Deroleptus Bernhauer, 1915
- Dinocoryna Casey, 1893
- Dinusella Bernhauer, 1908
- Diplopleurus Bernhauer, 1915
- Doratoporus Wasmann, 1893
- Dromacamatus Bruch, 1933
- Dromeciton Fauvel, 1904
- Dromacamatus Bruch, 1933
- Dromanomma Wasmann, 1916
- Dromeciton Fauvel, 1904
- Drugia Blackwelder, 1952
- Drusilla Leach in Samouelle, 1819 -> Taenaris
- Drusillota Casey, 1906
- Dysamblys Pace, 1999
- Ecitana Seevers, 1965
- Ecitocala Frank in Frank and Thomas, 1981 (Ecitocala rugosa)
- Ecitocerus Borgmeier, 1949
- Ecitocryptodes Seevers, 1965
- Ecitocryptus Borgmeier, 1930
- Ecitodiscus Borgmeier, 1949
- Ecitodonia Seevers, 1965
- Ecitoglossa Borgmeier, 1958
- Ecitonia Wasmann, 1894
- Ecitonidia Wasmann, 1900
- Ecitonilla Wasmann, 1894
- Ecitonusa Wasmann, 1897 -> Dinocoryna
- Ecitopelta Borgmeier, 1949
- Ecitophila Wasmann, 1890
- Ecitophiletus (Borgmeier, 1932
- Ecitophrura (Reichensperger, 1939
- Ecitoplectus Borgmeier, 1931
- Ecitopolites Borgmeier, 1949
- Ecitopora Wasmann, 1887
- Ecitotyphlus Borgmeier, 1949
- Ecitoxenidia Wasmann, 1909
- Euryalusa (Pace, 1984)
- Eurydiotyphla Pace, 1986
- Falagonia Sharp, 1883
- Falagonilla Reichensperger, 1939
- Gallardoia Bruch, 1924
- Gapia Blackwelder, 1952
- Gramminopleurus Bernhauer, 1942
- Gryptaulacus Bernhauer, 1937
- Haplomyrmemonia Pace, 1986
- Heteroporus Cameron, 1939
- Homalodonia Bernhauer, 1936
- Kakodaimonia Bernhauer, 1929
- Katanganella Levasseur, 1966
- Kenyanella Levasseur, 1966
- Kolwezia Levasseur, 1966
- Labidilla Borgmeier, 1949
- Labidoculex Reichensperger, 1936
- Leiorhopala Bernhauer, 1932
- Leleupidiella Jarrige, 1953
- Leptogenonia Maruyama in Maruyama, von Beeren & Witte, 2010
- Leptogenopapus Hlaváč & Janda, 2009
- Leptogenoxenus Kistner, 1975
- Macrogerodonia Bernhauer, 1941
- Madecazyras Scheerpeltz, 1961
- Malaiseium Scheerpeltz, 1965
- Manikaella Levasseur, 1967
- Maschwitzia Kistner, 1989
- Meronera Sharp, 1887
- Methneria Bernhauer, 1915
- Methnerotherium Bernhauer, 1929
- Microdonia Casey, 1893
- Mimoplandria Cameron, 1950
- Monobothrus Pace, 1990
- Myrmechusa Wasmann, 1905
- Myrmechusina Cameron, 1926
- Myrmecopella Kistner & Mcnairn, 1991
- Myrmecoxenia Lynch, 1884
- Myrmedonota Cameron, 1920
- Myrmigaster Sharp, 1876
- Myrmoecia Mulsant and Rey, 1874 -> Zyras
- Neocamacopalpus Klimaszewski, 1982
- Neolara Sharp, 1883
- Neosmectonia Jacobson & Kistner, 1983
- Neowroughtonilla Kistner, 1989
- Ocyplanus Fauvel, 1899
- Orphnebius Motschoulsky, 1858
- Oxylidia Pace, 1993
- Pachorhopala Bernhauer, 1915
- Papuanusa Pace, 2000)
- Paramyrmoecia Scheerpeltz, 1974
- Paraporus Bernhauer, 1929
- Parastilbus Bernhauer, 1933
- Parawroughtonilla Maruyama In Maruyama, Von Beeren & Witte, 2010
- Pedinopleurus Cameron, 1939
- Pella Stephens, 1835
- Periergopus Fenyes, 1921
- Pheidologitonetes Cameron, 1939
- Philastilbus Bernhauer, 1929
- Philusina Wasmann, 1893
- Platyusa Casey, 1885
- Platyusa sonomae
- Platyastilbus Scheerpeltz, 1965
- Plesiadda Pace, 1986
- Porus Westwood, 1840
- Propinquitas Last, 1977
- Pseudastilbus Cameron, 1950
- Pseudodinusa Bernhauer, 1912
- Pseudodrusilla Bernhauer, 1933
- Pseudoporus Wasmann, 1893
- Pseudothamiaraea Cameron, 1923
- Pterygatemeles (Scheerpeltz, 1965
- QuarternioLast, 1963
- Rhopalybia Cameron, 1937
- Rhoptrodinarda Brauns, 1914
- Salutoporus Last, 1977
- Santhota Sharp, 1874 -> Drusilla
- Scotodonia Wasmann, 1894
- Smectonia Patrizi, 1948
- Stenocyplanus Jacobson & Kistner, 1983
- Stenopleurus Kistner, 1997
- Stichodonia Bernhauer, 1928
- Strabocephalium Bernhauer, 1911
- Synthoracastilbus Scheerpeltz, 1957
- Termitodonia
- Termitognathus Borgmeier, 1959
- Terrecorvonia Last, 1961
- Tetrabothrus Bernhauer, 1915
- Tetradonella Jacobson & Kistner, 1998
- Tetradonia Wasmann, 1894
- Tetradonia megalops
- Tetragnypeta Cameron, 1950
- Tetralophodes Bernhauer, 1922
- Thlibopleurus Bernhauer, 1915
- Thoracastilbus Scheerpeltz, 1957
- Thoracophagus Kistner, 2003
- Togpelenys Kistner, 1989
- Trachydonia Bernhauer, 1928
- Trachyota Casey, 1906
- Trichodonia Wasmann, 1916
- Tropiochara Bernhauer, 1937
- Turcizyras Maruyama, 2006
- Typhlonusa Borgmeier, 1958
- Typhlozyras Jeannel, 1960
- Urodonia Silvestri, 1946
- Vertexprorogatio Kistner, 2004
- Wasmannina Mann, 1925
- Witteia Maruyama & Von Beeren In Maruyama, Von Beeren & Ha, 2010
- Wroughtonilla Wasmann, 1899
- Xesturida Casey, 1906
- Xesturida laevis
- Zyras Stephens, 1835
- Zyrastilbodes Scheerpeltz, 1962 -> Macrogerodonia
- Другие рода
- Подтриба Termitozyrina Seevers, 1957
- Havilandoxenus Kistner, 1971
- Hodotermophilus Naomi & Terayama, 1986
- Iheringocantharus Bernhauer, 1912
- Limulodilla Kistner, 1970
- Longipedisymbia Kistner, 1970
- Longipedoxenus Kistner, 1970
- Termitonusa Borgmeier, 1950
- Termitophagus Silvestri, 1946
- Termitosymbia Seevers, 1957
- Termitozyras Seevers, 1957
- Termophidoholus Naomi & Hirono, 1996
- Incertae sedis
Примечания
- Hlaváč, P.; Newton, A.F.; Maruyama, M. 2011. World catalogue of the species of the tribe Lomechusini (Staphylinidae: Aleocharinae). Zootaxa (ISSN 1175-5326), 3075: 1-151. Preview
- Hlaváč, P., P. Oromi & A. Bordoni. (2006) Catalogue of troglobitic Staphylinidae (Pselaphinae excluded) of the world. Subterranean Biology, 4, 19-28
- Lecoq, J.-C. & E. Quéinnec. (2005) Apteranillus minosianus n. sp., nouvel Aleocharinae troglobie du Maroc (Coleoptera, Staphylinidae). Revue Française d’Entomologie (N.S.), 27 (1), 45-47.
- Термитофилы, мирмекофилы Архивная копия от 13 апреля 2018 на Wayback Machine (фото) (рус.) (Дата обращения: 26 июня 2011)
- K. Taro Eldredge. Bothronotoxenus Eldredge, a New Genus of Aleocharinae (Coleoptera: Staphylinidae) from Arizona, U.S.A. (англ.) // The Coleopterists Bulletin : Журнал. — The Coleopterists Society, 2011. — Vol. 65, no. 4. — P. 381-386.
Литература
- Ashe, J. S. 2005. Phylogeny of the tachyporine group subfamilies and 'basal' lineages of the Aleocharinae (Coleoptera: Staphylinidae) based on larval and adult characteristics. Systematic Entomology, 30: 3-37. doi: 10.1111/j.1365-3113.2004.00258.x
- Eldredge, K. T. 2011. Bothronotoxenus Eldredge, a new genus of Aleocharinae (Coleoptera: Staphylinidae) from Arizona, U.S.A. Coleopterists bulletin, 65(4): 381—386. doi 10.1649/072.065.0413
- Hlaváč, P.; Newton, A.F.; Maruyama, M. 2011. World catalogue of the species of the tribe Lomechusini (Staphylinidae: Aleocharinae). Zootaxa (ISSN 1175-5326), 3075: 1-151. Preview
- Maruyama, M.; Beeren, C. von; Witte, V. 2010. Aleocharine rove beetles (Coleoptera, Staphylinidae) associated with Leptogenys Roger, 1861 (Hymenoptera, Formicidae) II. Two new genera and two new species associated with L. borneensis Wheeler, 1919. ZooKeys, 59: 61-72. doi 10.3897/zookeys.59.511
- Santiago-Jiménez, Q.J. 2010. Revision of the genus Falagonia (Coleoptera: Staphylinidae: Aleocharinae: Lomechusini), with description of related genera. Sociobiology, 55(3): 643—724.
- Thomas, J. C. 2009. A preliminary molecular investigation of aleocharine phylogeny (Coleoptera: Staphylinidae). Annals of the Entomological Society of America, 102: 189—195. doi: 10.1603/008.102.0201
