Drusilla
Drusilla (лат.) — род жуков-стафилинид из подсемейства Aleocharinae. Часть видов мирмекофилы.
| Drusilla | ||||||||||
|---|---|---|---|---|---|---|---|---|---|---|
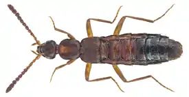
![]() Drusilla canaliculata | ||||||||||
| Научная классификация | ||||||||||
|
Домен: Царство: Подцарство: Без ранга: Без ранга: Без ранга: Без ранга: Тип: Подтип: Надкласс: Класс: Подкласс: Инфракласс: Надотряд: Отряд: Подотряд: Инфраотряд: Надсемейство: Семейство: Подсемейство: Триба: Род: Drusilla |
||||||||||
| Международное научное название | ||||||||||
| Drusilla Leach, 1819 | ||||||||||
| Синонимы | ||||||||||
|
||||||||||
| ||||||||||
Распространение
Палеарктика. Юго-Восточная Азия. В Западной Палеарктике и Малой Азии 29 видов[1]. На острове Калимантан 40 видов[2][3]. В Неарктике представлены несколькими видами, включая заносный Drusilla canaliculata (Fabricius, 1787) — широко распространенный палеарктический вид, который был интродуцирован на северо-восток США, где его обычно находят в синантропных местообитаниях[4][5].
Описание
Мелкие коротконадкрылые жуки, длина 3—5 мм. Основная окраска красновато-коричневатая, тело слабо опушено, за исключением волосков на задней части тела. Антенны относительно длинные и толстые. Голова относительно небольшая и округлая. Переднеспинка длиннее ширины, с широкой центральной бороздкой. Надкрылья относительно короткие. Ноги относительно длинные и тонкие. Drusilla можно отличить от всех других неарктических родов, входящих в трибу Lomechusini, по следующему сочетанию признаков: 1) голова с чётко выраженной шеей; 2) голова с очень коротким затылочным швом, оканчивающимся проксимальнее щеки; 3) при виде сбоку темя наклонено назад, образуя вертикальный, иногда почти изогнутый профиль; 4) максиллярные компоненты, особенно галеа, удлиняются, образуя выступающий комплекс, видимый за верхней губой при виде сверху; 5) лабиальные пальпомеры примерно одинаковой длины; последние лабиальные членики слабо изогнуты внутрь; 6) язык сравнительно длинный, раздвоенный с заметным разделением; 7) дорсальная поверхность брюшка почти голая, с немногочисленными рассеянными щетинками[4]. Drusilla отмечен частыми ассоциациями с муравьями и термитами (далее именуемые мирмекофилами и термитофилами соответственно; эти термины представляют собой градацию ассоциаций, которые варьируются от облигатного социального паразитизма к случайным обитателям окрестностей гнезда. Большинство видов Drusilla являются свободноживущими, но некоторые из них известны как мирмекофилы или термитофилы[4][6][7][8][9].
Drusilla canaliculata
Drusilla fissata
Систематика
Более 100 видов. Род был впервые выделен в 1819 году английским энтомологом Уильямом Элфордом Личем (1791—1836) для вида Staphylinus canaliculatus Fabricius, 1787[10][4][11]. Род относят к подтрибе Myrmedoniina в составе трибы Lomechusini[11][3][12][13].
- Drusilla adjacens (Cameron, 1939)
- Drusilla aeneicollis (Fauvel, 1899)
- Drusilla aequatorialis (Bernhauer, 1927)
- Drusilla aerea (Scheerpeltz, 1934)
- Drusilla affinis (Cameron, 1939)
- Drusilla aino Nakane, 1963
- Drusilla alutacea Reitter, 1901
- Drusilla anceps Assing, 2005
- Drusilla andrewesi (Cameron, 1939)
- Drusilla angularis (Fauvel, 1899)
- Drusilla ashei Eldredge, 2012
- Drusilla assamensis (Cameron, 1939)
- Drusilla attenuata Kistner, 1997
- Drusilla baliensis Pace, 1987
- Drusilla bartolozzii Pace, 2003
- Drusilla bernhaueri (Scheerpeltz, 1934)
- Drusilla besucheti Assing, 2005
- Drusilla bicarinicollis Pace, 2008
- Drusilla bicolor (Cameron, 1950)
- Drusilla bifida Assing, 2016
- Drusilla bilobata Pace, 2014
- Drusilla bispinosa Assing, 2019
- Drusilla bituberculata (Motschulsky, 1858)
- Drusilla borneensis (Bernhauer, 1915)
- Drusilla borneoapicalis Pace, 2014
- Drusilla borneoclara Pace, 2014
- Drusilla borneoruficollis Pace, 2014
- Drusilla borneostricta Pace, 2014
- Drusilla brevipennis (Cameron, 1939)
- Drusilla breviuter Assing, 2019
- Drusilla bruneiensis Pace, 2008
- Drusilla bruneiorum Pace, 2008
- Drusilla bryanti (Cameron, 1950)
- Drusilla bulbata Assing, 2008
- Drusilla bulbosa Pace, 2014
- Drusilla burgeoniana (Bernhauer, 1943)
- Drusilla butuanensis (Bernhauer, 1916)
- Drusilla caelata Pace, 1987
- Drusilla caelaticollis Pace, 2008
- Drusilla calicis Pace, 2012
- Drusilla cameroni (Scheerpeltz, 1934)
- Drusilla canaliculata (Fabricius, 1787)
- Drusilla caputserpentis Pace, 2014
- Drusilla carinithorax (Bernhauer, 1915)
- Drusilla celebensis (Cameron, 1942)
- Drusilla cenwanglaomontis Pace, 2012
- Drusilla cernens Assing, 2005
- Drusilla congoensis (Kistner, 2003)
- Drusilla convexifrons (Fairmaire, 1873)
- Drusilla cretica Assing, 2005
- Drusilla cupulifer (Fauvel, 1906)
- Drusilla damingensis Pace, 2012
- Drusilla danumensis Pace, 2014
- Drusilla dendrolasii Maruyama & Kishimoto, 2002
- Drusilla denigrata Assing, 2005
- Drusilla denticollis (Bernhauer, 1933)
- Drusilla dharmapuriensis Pace, 2001
- Drusilla dimidiata Pace, 1987
- Drusilla divergens Pace, 2014
- Drusilla dorylophila (Bernhauer, 1929)
- Drusilla drescheri (Cameron, 1939)
- Drusilla dumogaicola Pace, 2004
- Drusilla dusunorum Pace, 1993
- Drusilla endopilosella Pace, 2000
- Drusilla endorica (Saulcy, 1865)
- Drusilla erichsoni (Peyron, 1857)
- Drusilla feae (Cameron, 1939)
- Drusilla fissata (Bernhauer, 1915)
- Drusilla flagellata Assing, 2015
- Drusilla flava (Cameron, 1939)
- Drusilla flavicornis (Motschulsky, 1858)
- Drusilla foeda Pace, 2008
- Drusilla fontis Pace, 2008
- Drusilla foreli (Wasmann, 1890)
- Drusilla fossulicollis Pace, 2008
- Drusilla fossulifera Pace, 1987
- Drusilla frater (Cameron, 1950)
- Drusilla gabonensis Pace, 2012
- Drusilla ganglbaueri (Bernhauer, 1906)
- Drusilla gibberella Pace, 1998
- Drusilla gilva Pace, 2012
- Drusilla gracilicornis (Bernhauer, 1902)
- Drusilla gracilis (Hochhuth, 1849)
- Drusilla granulata (Bernhauer, 1927)
- Drusilla granulicollis (Cameron, 1939)
- Drusilla guineensis (Bernhauer, 1932)
- Drusilla haematica (Fauvel, 1899)
- Drusilla heydeni (Eppelsheim, 1887)
- Drusilla hipponensis (Fauvel, 1898)
- Drusilla impressicollis (Kraatz, 1857)
- Drusilla imurai Maruyama & Kishimoto, 2002
- Drusilla incola (Fauvel, 1904)
- Drusilla inflatae Maruyama, Yek, Hashim & Ito, 2003
- Drusilla intermedia (Cameron, 1933)
- Drusilla italica (Bernhauer, 1903)
- Drusilla jacobsoni (Cameron, 1936)
- Drusilla javana (Cameron, 1939)
- Drusilla kabyliana (Fagel, 1958)
- Drusilla kadooriorum Pace, 1998
- Drusilla kamerunensis (Bernhauer, 1912)
- Drusilla kathmanduensis Pace, 1992
- Drusilla katiki Pace, 1993
- Drusilla keiichii Maruyama, 2004[14]
- Drusilla khamhengi Pace, 1986
- Drusilla kinabaluensis Pace, 1987
- Drusilla kisumuensis Pace, 1996
- Drusilla laevicauda (Bernhauer, 1903)
- Drusilla lateremaculata Pace, 2016
- Drusilla lativentris Assing, 2017
- Drusilla lethierryi (Fauvel, 1898)
- Drusilla liangicola Pace, 1993
- Drusilla limata Assing, 2005
- Drusilla lineatocollis (Kraatz, 1859)
- Drusilla longatheca Pace, 2004
- Drusilla lucens (Cameron, 1950)
- Drusilla lucida (Cameron, 1950)
- Drusilla luzonica (Bernhauer, 1915)
- Drusilla lydica Assing, 2007
- Drusilla magniceps (Cameron, 1939)
- Drusilla mahnerti Pace, 1996
- Drusilla malaisei (Scheerpeltz, 1965)
- Drusilla malindensis Pace, 1991
- Drusilla manenekarum Pace, 1993
- Drusilla manubrifera Pace, 2010
- Drusilla memnonia (Märkel, 1844)
- Drusilla meridiana (Fauvel, 1900)
- Drusilla mixta (Cameron, 1939)
- Drusilla montanella (Bernhauer, 1936)
- Drusilla monticola (Cameron, 1943)
- Drusilla nearctica Eldredge, 2012
- Drusilla necaerea Pace, 2008
- Drusilla nepalensis Pace, 1992
- Drusilla nigra (Cameron, 1925)
- Drusilla nigrescens (Motschulsky, 1858)
- Drusilla nomurai Maruyama, 2000
- Drusilla obliqua (Bernhauer, 1916)
- Drusilla obliquoides Pace, 2003
- Drusilla occipitalis Pace, 1987
- Drusilla ocularis (Fenyes, 1914)
- Drusilla opacicollis (Cameron, 1920)
- Drusilla opacipennis (Bernhauer, 1902)
- Drusilla operosa Pace, 1987
- Drusilla orientalis (Cameron, 1939)
- Drusilla orissaensis Pace, 2011
- Drusilla pallidicornis Assing, 2005
- Drusilla papuana (Cameron, 1937)
- Drusilla pendleburyi (Cameron, 1950)
- Drusilla penicillata Assing, 2019
- Drusilla perakensis Pace, 2013
- Drusilla perdensa Pace, 2004
- Drusilla perforans Assing, 2015
- Drusilla persica Assing, 2005
- Drusilla persulcata Pace, 2004
- Drusilla pervisa Pace, 1987
- Drusilla philippina (Bernhauer, 1915)
- Drusilla planaticollis (Kraatz, 1857)
- Drusilla plena Pace, 2004
- Drusilla plicipennis (Bernhauer, 1915)
- Drusilla profunda Pace, 2014
- Drusilla proxima (Cameron, 1939)
- Drusilla pudukkottaiensis Pace, 2001
- Drusilla puetzi Assing, 2011
- Drusilla punctatissima (Kraatz, 1857)
- Drusilla raffrayi (Fairmaire, 1871)
- Drusilla rantepaoicola Pace, 1993
- Drusilla recta Assing, 2005
- Drusilla refugita Pace, 2000
- Drusilla rougemonti Pace, 1987
- Drusilla rougemontiana Pace, 2014
- Drusilla ruficornis (Cameron, 1939)
- Drusilla rufiventris (Cameron, 1950)
- Drusilla rufobrunnea (Cameron, 1939)
- Drusilla rufocaelata Pace, 2008
- Drusilla rufoflava (Cameron, 1950)
- Drusilla sabahensis Pace, 2014
- Drusilla sabahorum Pace, 2014
- Drusilla schawalleri Kistner, 1994
- Drusilla sculpticollides Hlavàč, Newton & Maruyama, 2011
- Drusilla semicircularis (Bernhauer, 1929)
- Drusilla semicyanea (Cameron, 1930)
- Drusilla semimonticola Pace, 2008
- Drusilla semiobliqua Pace, 2005
- Drusilla semipunctata (Bernhauer, 1929)
- Drusilla semirubra (Cameron, 1950)
- Drusilla serrulae Pace, 2014
- Drusilla shavrini Assing, 2019
- Drusilla singalorum Pace, 1988
- Drusilla sinicola Pace, 2012
- Drusilla sinuosa Assing, 2005
- Drusilla smetanai Pace, 1992
- Drusilla sparsa (Sharp, 1874)
- Drusilla spiniventris Assing, 2019
- Drusilla spissatheca Pace, 2008
- Drusilla stevensi (Cameron, 1939)
- Drusilla strigicollis (Cameron, 1928)
- Drusilla subsplendens Assing, 2011
- Drusilla suturalis (Erichson, 1843)
- Drusilla takashii Maruyama, 2004
- Drusilla taygetana Assing, 2005
- Drusilla terrestris Pace, 2008
- Drusilla thai Pace, 2012
- Drusilla thaifuscicollis Pace, 2012
- Drusilla theryi (Fauvel, 1898)
- Drusilla tigrata Pace, 1992
- Drusilla todolarum Pace, 1993
- Drusilla trigonocephala (Cameron, 1939)
- Drusilla trina Pace, 2014
- Drusilla tronqueti Pace, 1988
- Drusilla tuberculata (Bernhauer, 1916)
- Drusilla ulusegamicola Pace, 2015
- Drusilla umranicola Pace, 2005
- Drusilla umtaliensis Pace, 1996
- Drusilla unicolor (Cameron, 1950)
- Drusilla veluticollis (Cameron, 1928)
- Drusilla villosa (Peyerimhoff, 1909)
- Drusilla wallacei (Kistner & McNairn, 1991)
- Drusilla watanabei Maruyama & Kishimoto, 2002
- Drusilla yunnanensis Pace, 1993
- Drusilla zhejiangensis Pace, 1998
- Drusilla zimbabwensis Pace, 1996
- Drusilla zyrasoides Dvořàk, 1988
Примечания
- Assing V. (2006). On the Italian species of Drusilla Leach, 1819, with a note on D. taygetana Assing (Coleoptera: Staphylinidae, Aleocharinae). Beitr. Ent. Keltern, 56(2), S. 281—296, 15.12.2006, ISSN 0005 — 805X , DOI: 10.21248/contrib.entomol.56.2.281-296
- Pace R. Generi e specie della tribù Lomechusini del Borneo (Coleoptera, Staphylinidae). = The genera and species of the tribe Lomechusini of Borneo (Coleoptera, Staphylinidae) (итал.) // Revue suisse de zoologie : Журнал. — 2008. — Vol. 115, n. 11. — P. 107–156.
- Pace R. Aleocharinae from Sabah (Borneo) collected by Guillaume de Rougemont (Coleoptera, Staphylinidae) (англ.) // Linzer biologische Beiträge : Журнал. — 2014. — Vol. 46, no. 1. — P. 727–794.
- Eldredge K. T. Review of the Nearctic species of Drusilla Leach (Coleoptera: Staphylinidae: Aleocharinae) (англ.) // Zootaxa : Журнал. — 2012. — Vol. 3300. — P. 45–54.
- Gusarov V.I. (2003) Revision of some types of North American aleocharines (Coleoptera: Staphylinidae: Aleocharinae), with synonymic notes. Zootaxa, 353, 1—134.
- Kistner D. H. (1993) A new species of Drusilla from the Philippines that is predaceous upon Hospitalitermes (Coleoptera: Staphylinidae; Isoptera: Termitidae). Sociobiology, 23(2), 183—188.
- Kistner D. H., Weissflog A., Rosciśzewski K. & Maschwitz U. (1997) New species, new genera, and new records of myrmecophiles associated with army ants (Aenictus sp.) with the despcription of a new subtribe of Staphylinidae (Coleoptera; Formicidae: Aenictinae). Sociobiology, 29(2), 123—221.
- Maruyama M. & Kishimoto T. (2002) Myrmecophilous species of Drusilla (Coleoptera, Staphylinidae, Aleocharinae) associated with Lasius (Dendrolasius) spp. (Hymenoptera, Formicidae, Formicinae) from China, Part 2. Elytra, 30(1), 111—118.
- Maruyama M., Yek S.H., Hashim R. & Ito F. (2003) A new species of Drusilla (Coleoptera, Staphylinidae, Aleocharinae), a possible Batesian mimic associated with Crematogaster inflata (Hymenoptera, Formicidae, Myrmicinae). Japanese Journal of Systematic Entomology, 9(2), 267—275
- Leach, W.E. In: Samouelle G.: The entomologist’s useful compendium; or an introduction to the knowledge of British insects comprising the best means of obtaining and preserving them, and a description of the apparatus generally used; together with the genera of Linné, and the modern method of arranging the classes Crustacea, Myriapoda, spiders, mites and insects from their affinities and structure, according to the views of Dr. Leach. Also an explanation of the terms used in entomology: a calendar of the times of appearance, and usual situations of near 3000 species of British insects; with instructions for collecting and fitting up objects for the microscope (англ.). — London: Thomas Boys, 1819. — P. 117. — 496 p.
- Pace R. Biodiversità delle Aleocharinae della Cina: Lomechusini e Thamiaraeini (Coleoptera, Staphylinidae) (англ.) // Beiträge zur Entomologie : Журнал. — 2012. — Vol. 62, no. 1. — P. 77–102.
- Assing V. A revision of the Middle Asian species of Drusilla Leach (Coleoptera, Staphylinidae, Aleocharinae) (англ.) // Entomologische Blätter : Журнал. — 2005. — Vol. 101. — P. 43—56.
- Assing V. On the western Palaearctic species of Drusilla Leach, with special reference to the species of the eastern Mediterranean (Coleoptera: Staphylinidae, Aleocharinae) (англ.) // Koleopterologische Rundschau : Журнал. — 2005. — Vol. 75. — P. 111—149.
- Maruyama, M. (2004b) Drusilla keiichii (Coleoptera: Staphylinidae: Aleocharinae), a new termitophile associated with Hospitalitermes (Isoptera: Termitidae) from Thailand. Entomological Review of Japan, 59(2), 249—254.
Литература
- Hlaváč P., Newton A. F., Maruyama M. World catalogue of the species of the tribe Lomechusini (Staphylinidae: Aleocharinae) // Zootaxa. — 2011. — Vol. 3075. — P. 1–151.
- Seevers C. H. A generic and tribal revision of the North American Aleocharinae (Coleoptera: Staphylinidae) // Fieldiana: Zoology. — 1978. — Vol. 71. — P. 1—275.
Ссылки
- bugguide.net: Drusilla
- Myrmedoniina in The Tree of Life Web Project
_(20873537646).png.webp)