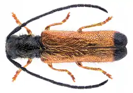
Tetrops starkii
Tetrops starkii — вид жесткокрылых из семейства усачей.
| Tetrops starkii | ||||||||
|---|---|---|---|---|---|---|---|---|
| ||||||||
| Научная классификация | ||||||||
|
Домен: Царство: Подцарство: Без ранга: Без ранга: Без ранга: Без ранга: Тип: Подтип: Надкласс: Класс: Подкласс: Инфракласс: Надотряд: Отряд: Подотряд: Инфраотряд: Надсемейство: Семейство: Подсемейство: Триба: Род: Вид: Tetrops starkii |
||||||||
| Международное научное название | ||||||||
| Tetrops starkii Chevrolat, 1859 | ||||||||
| Синонимы | ||||||||
|
||||||||
| ||||||||
Распространение
Распространён в Центральной Европе, Швеции, России и на Балканах.
Описание
Жук длиной от 3 до 6 мм. Время лёта с мая по июнь.
Развитие
Жизненный цикл вида длится год-два. Кормовым растением является ясень (Fraxinus).
Вариации
- Tetrops starkii var. mesmini Pic, 1928
- Tetrops starkii var. vicina Pic, 1928
Ссылки
- cerambyx.uochb.cz Tetrops starkii Chevrolat, 1859
- BioLib Profil taxonu — druh Tetrops starkii Chevrolat, 1859
Примечания
This article is issued from Wikipedia. The text is licensed under Creative Commons - Attribution - Sharealike. Additional terms may apply for the media files.
