Gyrophaena
Gyrophaena (лат.) — род жуков-стафилинид из трибы Homalotini (подсемейство Aleocharinae). Более 560 видов[1].
| Gyrophaena | ||||||||||||
|---|---|---|---|---|---|---|---|---|---|---|---|---|
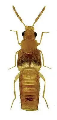
![]() Жук Gyrophaena antennalis | ||||||||||||
| Научная классификация | ||||||||||||
|
Домен: Царство: Подцарство: Без ранга: Без ранга: Без ранга: Без ранга: Тип: Подтип: Надкласс: Класс: Подкласс: Инфракласс: Надотряд: Отряд: Подотряд: Инфраотряд: Надсемейство: Семейство: Подсемейство: Триба: Homalotini Подтриба: Gyrophaenina Род: Gyrophaena |
||||||||||||
| Международное научное название | ||||||||||||
| Gyrophaena Mannerheim, 1830[1] | ||||||||||||
| Синонимы | ||||||||||||
|
||||||||||||
| ||||||||||||
Описание
Мелкие коротконадкрылые жуки. Длина тела от 1,2 до 3,5 мм, форма овальная или вытянутая, дорзо-вентрально сплющенная. Окраска от желтовато-коричневой до чёрной[2]. Личинки и взрослые жуки питаются грибами и трутовиками (облигатные микофаги), в которых живут, питаются и размножаются, откладывают яйца. Поедают споры, базидии и гифы грибницы. Некоторые виды образуют большие скопления в грибах. Часть таксонов при этом образует комплекс сосуществующих видов. От близких родов отличаются строением VIII тергита самцов и морфологией гениталий (эдеагуса), которые обычно сравнительно крупнее и отчётливее[1]. Голова широкая, сильно поперечная. Глаза относительно крупные, выступающие (за глазами голова суженная). Язычок длинный и узкий. Губные щупики 2-члениковые. Переднеспинка уже надкрылий. Задние лапки 5-члениковые, а лапки передних и средних состоят из 4 сегментов (формула лапок: 4-5-5)[3].
Систематика
Более 560 видов, из них в Западной Палеарктике — 180 видов[1]. В США и Канаде — 62 вид[2]. В Чехии 23 вида[4]. Для Европейской части СССР указывалось не менее 16 видов[3], для Украины — 20 видов[5]. Род был впервые выделен финско-российским энтомологом Карлом Густавом Маннергеймом (Carl Gustaf Mannerheim, 1797—1854) и включён в подтрибу Gyrophaenina Kraatz, 1856 из трибы Homalotini Heer, 1839[5][6][7].
- Gyrophaena affinis C. Sahlberg, 1834 — Голарктика
- Gyrophaena antennalis Casey, 1906 — Канада, США
- Gyrophaena arizonae Seevers, 1951[8]
- Gyrophaena barberi Seevers, 1951
- Gyrophaena bihamata Thomson, 1867
- Gyrophaena bilobata Seevers, 1951
- Gyrophaena blackwelderi Seevers, 1951
- Gyrophaena blatchleyi Seevers, 1951
- Gyrophaena boleti (Linnaeus, 1758) (Agaricochara)
- Gyrophaena brevicollis Seevers, 1951
- Gyrophaena californica (Casey, 1906)
- Gyrophaena caseyi Seevers, 1951[8]
- Gyrophaena chippewa Seevers, 1951
- Gyrophaena congrua Erichson, 1837
- Gyrophaena criddlei Casey, 1911
- Gyrophaena cultellata Assing, 2009
- Gyrophaena dybasi Seevers, 1951
- Gyrophaena fasciata (Marsham, 1802)
- Gyrophaena flavicornis Melsheimer, 1844
- Gyrophaena fuscicollis Casey, 1906
- Gyrophaena fusicornis Eppelsheim, 1887 — Приморский край
- Gyrophaena gaudens Casey, 1906
- Gyrophaena gentilis Erichson, 1839
- Gyrophaena gilvicollis Casey, 1906
- Gyrophaena gracilis Seevers, 1951 (Phaenogyra)
- Gyrophaena illiana Seevers, 1951
- Gyrophaena insolens Casey, 1906
- Gyrophaena involuta Casey, 1906
- Gyrophaena joyi Wendeler, 1924
- Gyrophaena joyioides Wüsthoff, 1937
- Gyrophaena keeni Casey, 1911
- Gyrophaena koreana Paśnik, 2001
- Gyrophaena latissima (Stephens, 1832) (Agaricochara)
- Gyrophaena laetula Casey, 1906
- Gyrophaena lobata Casey, 1906
- Gyrophaena lucidula Erichson, 1837
- Gyrophaena manca Erichson, 1839
- Gyrophaena meduxnekeagensis Klimaszewski & Webster, 2009 (Phaenogyra)
- Gyrophaena minima Erichson, 1837
- Gyrophaena modesta Casey, 1906
- Gyrophaena munsteri Strand, 1935
- Gyrophaena nana (Paykull, 1800)
- Gyrophaena nitidula (Gyllenhal, 1810)
- Gyrophaena obsoleta Ganglbauer, 1895
- Gyrophaena orientalis A. Strand, 1938 = Gyrophaena transsylvanica Ádám, 2008 — Евразия
- Gyrophaena plutenkoi Glotov, 2014 — Приморский край
- Gyrophaena polita (Gravenhorst, 1802) (Agaricochara)
- Gyrophaena poweri Crotch, 1866
- Gyrophaena pseudocriddlei Klimaszewski & Webster, 2009[2]
- Gyrophaena pseudonana Strand, 1939
- Gyrophaena pulchella Heer, 1839
- Gyrophaena rousi Dvořák, 1966
- Gyrophaena rugipennis Mulsant & Rey, 1861
- Gyrophaena subnitens Casey, 1906 (Phaenogyra)
- Gyrophaena sculptipennis Casey, 1906
- Gyrophaena sunanica Paśnik, 2001
- Gyrophaena strictula Erichson, 1839 (Agaricochara)
- Gyrophaena taiwaspinosa Pace, 2007 — Дальний Восток (Приморский край и Тайвань)
- Gyrophaena transversalis Strand, 1939
- Gyrophaena uteana Casey, 1906
- Gyrophaena vitrina Casey, 1906
- Gyrophaena williamsi Strand, 1935
- Другие виды
Примечания
- Glotov S. V. Новый вид, новый синоним и новые находки Gyrophaena (Coleoptera, Staphylinidae, Aleocharinae) из Палеарктики. New species, new synonym, and additional records of Gyrophaena (Coleoptera, Staphylinidae, Aleocharinae) from the Palaearctic region (англ.) // Vestnik zoologii : Журнал. — 2014. — Vol. 48, no. 2. — P. 179–184. — doi:10.2478/vzoo-2014-0019.
- Klimaszewski J.; Webster, R. P.; Savard, K. Review of the rove beetle species of the subtribe Gyrophaenina Kraatz (Coleoptera, Staphylinidae) from New Brunswick, Canada: new species, provincial records and bionomic information. In: Majka, C.G.; Klimaszewski, J. (eds) Biodiversity, biosystematics, and ecology of Canadian Coleoptera II] (англ.) // ZooKeys : Журнал. — 2009. — Vol. 22. — P. 81–170. — doi:10.3897/zookeys.22.219.
- Определитель насекомых европейской части СССР. Т. II. Жесткокрылые и веерокрылые / под общ. ред. чл.-корр. Г. Я. Бей-Биенко. — М.—Л.: Наука, 1965. — С. 116, 120, 152. — 668 с. — (Определители по фауне СССР, издаваемые Зоологическим институтом АН СССР; вып. 89). — 5700 экз.
- Boháč J., Matějíček J., Rous R. (2006): Check-list drabčíkovitých (Coleoptera, Staphylinidae) České republiky se zařazením druhů do skupin podle jejich ekologických nároků a citlivosti k antropogenním vlivům a podle stupně ohrožení.
- Glotov S. V., Petrenko, A. A., Mateleshko, A. Yu. Rove beetles of the genus Gyrophaena (Coleoptera, Staphylinidae, Aleocharinae) of Ukraine (англ.) // Vestnik zoologii : Журнал. — 2011. — Vol. 45, no. 2. — P. 127–143.
- Enushchenko I. V., Shavrin, A. V. Contribution to the knowledge of Gyrophaena Mannerheim 1830 (Coleoptera: Staphylinidae: Aleocharinae: Gyrophaenina) of the Baikal region (англ.) // Linzer Biologische Beiträge : Журнал. — 2011. — Vol. 43, no. 2. — P. 1199–1217.
- Enushchenko I. V., Shavrin, A. V. Contribution to the knowledge of Gyrophaena Mannerheim 1830 (Coleoptera: Staphylinidae: Aleocharinae: Gyrophaenina) of Latvia (англ.) // Linzer biologische Beiträge : Журнал. — 2012. — Vol. 44, no. 1. — P. 437–447.
- Seevers C. H. Revision of the North American and European Staphylinid Beetles of the Subtribe Gyrophaenae (Aleocharinae, Bolitocharini) (англ.) // Fieldiana : Журнал. — 1951. — Vol. 32, no. 10. — P. 656–762.
Литература
- Ashe J. S. Generic revision of the subtribe Gyrophaenina (Coleoptera: Staphylinidae: Aleocharinae) with a review of the described subgenera and major features of evolution (англ.) // Quaestiones entomologicae : Журнал. — 1984. — Vol. 20, no. 3. — P. 129—349.
- Enushchenko I. V., Shavrin, A. V. Contribution to the knowledge of Gyrophaena Mannerheim 1830 (Coleoptera: Staphylinidae: Aleocharinae: Gyrophaenina) of the Baikal region (англ.) // Linzer Biologische Beiträge : Журнал. — 2011. — Vol. 43, no. 2. — P. 1199–1217.
- Enushchenko Ilya V., Viktor B. Semenov. (2016). A review of the genus Gyrophaena Mannerheim 1830 (Coleoptera: Staphylinidae: Aleocharinae: Gyrophaenina) of the Caucasus and adjacent territories. — Zootaxa, 4126 (3), 301—337.
- Glotov S. V., Petrenko, A. A., Mateleshko, A. Yu. Rove beetles of the genus Gyrophaena (Coleoptera, Staphylinidae, Aleocharinae) of Ukraine (англ.) // Vestnik zoologii : Журнал. — 2011. — Vol. 45, no. 2. — P. 127–143.
- Seevers, Charles H. (1978). A generic and tribal revision of the North American Aleocharinae (Coleoptera: Staphylinidae). — Fieldiana (Zoology), vol. 71. vi + 1-289. ISSN: 0015-0754
_antennalis.jpg.webp)