Chromalizus
Chromalizus (лат.) — род жесткокрылых насекомых из семейства усачей.
| Chromalizus | ||||||
|---|---|---|---|---|---|---|
| ||||||
| Научная классификация | ||||||
|
Домен: Царство: Подцарство: Без ранга: Без ранга: Без ранга: Без ранга: Тип: Подтип: Надкласс: Класс: Подкласс: Инфракласс: Надотряд: Отряд: Подотряд: Инфраотряд: Надсемейство: Семейство: Подсемейство: Триба: Род: Chromalizus |
||||||
| Международное научное название | ||||||
| Chromalizus | ||||||
| ||||||
Распространение
Обитают в Африке.
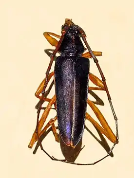
Описание
Довольно крупные, металлически-зелёные или фиолетовые жуки. Голова вытянутая, слегка удлиненная. Усики тонкие и длиннее тела. Ноги довольно длинные, не утолщенные, часто красноватые.
Биология
Личинки развиваются в древесине лиственных деревьев.
Классификация
- Chromalizus basaloides Lepesme, 1950
- Chromalizus fragrans (Dalman, 1817)
- Chromalizus rugosus (Aurivillius, 1912)
- Chromalizus sjoestedti (Aurivillius, 1903)
- Chromalizus speciosus (Guérin-Méneville, 1844)
- Chromalizus subfragrans Lepesme & Breuning, 1955
- Chromalizus truncatiscapus Lepesme, 1950
- Chromalizus afer (Linnaeus, 1771)
- Chromalizus afroides Lepesme, 1950
- Chromalizus angolensis Veiga-Ferreira, 1971
- Chromalizus argentipes Juhel & Bentanachs, 2010
- Chromalizus aureovittis (Kolbe, 1893)
- Chromalizus basalis (White, 1853)
- Chromalizus basilewskyi Fuchs, 1974
- Chromalizus calceatus (Aurivillius, 1903)
- Chromalizus dekeyseri Lepesme, 1950
- Chromalizus leucorhaphis (Gerstaecker, 1855)
- Chromalizus procerus Schmidt, 1922
- Chromalizus rhodoscelis (Jordan, 1903)
- Chromalizus simulatus (Chevrolat, 1856)
- Chromalizus socius (Jordan, 1894)
Примечания
This article is issued from Wikipedia. The text is licensed under Creative Commons - Attribution - Sharealike. Additional terms may apply for the media files.
