Baranowskiella ehnstromi
Baranowskiella ehnstromi (лат.) — вид жуков из семейства перокрылки (Ptiliidae). Мельчайший представитель отряда жесткокрылые в фауне Европы. Единственный вид рода Baranowskiella и первый член трибы Nanosellini, найденный в Старом Свете[1][2][3].
Baranowskiella ehnstromi | ||||||||||||||||||||||||
|---|---|---|---|---|---|---|---|---|---|---|---|---|---|---|---|---|---|---|---|---|---|---|---|---|
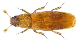
![]() Жук Baranowskiella ehnstromi | ||||||||||||||||||||||||
| Научная классификация | ||||||||||||||||||||||||
|
||||||||||||||||||||||||
| Латинское название | ||||||||||||||||||||||||
| Baranowskiella ehnstromi Sörensson, 1997 | ||||||||||||||||||||||||
|
_(6700282201).jpg.webp)
Описание
Обитают в трутовых грибах Phellinus conchatus (Pers.: Fr.) Quel (Hymenochaetaceae, Agaricomycetes), растущих на иве козьей (Salix caprea). Длина около 0,49—0,56 мм, тело узкое (в 3,3—3,7 раза длиннее своей ширины, что рекордно для всех ранее известных европейских видов перокрылок). Усики состоят из 10 члеников, 9-й и 10-й сегменты формируют булаву (у всех других европейских видов семейства усики 11-члениковые). Окраска коричневая (голова темнее)[1][2].
Другими отличительными признаками являются мезококсальный микангий (mycangia) и вентероэлитрально-метэпимеральный стридуляторный механизм, уникальный среди Ptiliidae и неизвестный среди других Staphylinoidea, что, возможно, связано с адаптацией к жизни в споровместилищах плодовых тел трутовых грибов[1][2].
Этимология
B. ehnstromi был впервые описан в 1997 году колеоптерологом Микаэлом Соренссоном (Mikael Sörensson, специализирующемся на Ptiliidae) и назван в честь энтомолога Бенгта Энстрёма (Bengt Ehnström). Родовое название Baranowskiella дано в честь энтомолога Rickard Baranowski (Hoor, Швеция)[1][2].
См. также
Примечания
- Andersen, J.; Hanssen, O.; Ødegaard, F. Baranowskiella ehnstromi Sörensson, 1997 (Coleoptera, Ptiliidae), the smallest known beetle in Europe, recorded in Norway (англ.) // Norwegian journal of entomology. — 2003. — Vol. 50, no. 2. — P. 139-141. Abstract
- Sörensson, M. Morphological and taxonomical novelties in the world's smallest beetles, and the first Old World record of Nanosellini (Coleoptera: Ptiliidae) // Systematic Entomology. — 1997. — Т. 22. — С. 257-283. doi: 10.1046/j.1365-3113.1997.d01-40.x
- Alexey Polilov. How small is the smallest? New record and remeasuring of Scydosella musawasensis Hall, 1999 (Coleoptera, Ptiliidae), the smallest known free-living insect (англ.) // ZooKeys : Журнал. — Sofia: Pensoft Publishers, 2015. — Vol. 526. — P. 61-64. — ISSN 1313-2970.
Литература
- Andersen, J.; Hanssen, O.; Ødegaard, F. Baranowskiella ehnstromi Sörensson, 1997 (Coleoptera, Ptiliidae), the smallest known beetle in Europe, recorded in Norway (англ.) // Norwegian journal of entomology. — 2003. — Vol. 50, no. 2. — P. 139-141.
- Hall W. E. Generic Revision of the Tribe Nanosellini (Coleoptera: Ptiliidae: Ptiliinae) // Transaction of the American Entomologival Society. — 1999. — Т. 125, № 1–2. — С. 36–126.
- Sörensson, M. New Swedish records of Feather-wing beetles (Coleoptera, Ptiliidae), and a discussion of two regionally extinct species (англ.) // Entomologisk tidskrift. — 2000. — Vol. 121. — P. 181-188.
Ссылки
- Андрій М. Заморока. Найменша комаха у світі (укр.) (недоступная ссылка). Naturalist.if.ua (Станіславівський Натураліст). Дата обращения: 14 января 2012. Архивировано 18 мая 2012 года. (есть фото жука)
- Lillepluttens rike (швед.) (недоступная ссылка). Vstmnatur.blogspot.com (24 augusti 2011). Дата обращения: 14 января 2012. Архивировано 18 мая 2012 года. (есть фото жука)
- Baranowskiella ehnstromi (англ.) (недоступная ссылка). Faunaeur.org. Дата обращения: 14 января 2012. Архивировано 18 мая 2012 года.
- Baranowskiella Sörensson, 1997 (англ.) (недоступная ссылка). Funet.fi. Дата обращения: 14 января 2012. Архивировано 18 мая 2012 года.
- Baranowskiella ehnstromi (англ.). Biolib.cz. Дата обращения: 14 января 2012.
- Baranowskiella ehnstromi (англ.) (недоступная ссылка). Eol.org. Дата обращения: 14 января 2012. Архивировано 18 мая 2012 года.
.png.webp)