Archaeoteleia
Archaeoteleia (лат.) — род наездников из семейства Platygastridae (Scelioninae, или Scelionidae, по другим классификациям). Около 15 видов. Эндемики Южного полушария, имеющие трансантарктическое распространение: Новая Зеландия и Чили[2].
| Archaeoteleia | ||||||||||||
|---|---|---|---|---|---|---|---|---|---|---|---|---|
| ||||||||||||
| Научная классификация | ||||||||||||
|
Домен: Царство: Подцарство: Без ранга: Без ранга: Без ранга: Без ранга: Тип: Подтип: Надкласс: Класс: Подкласс: Инфракласс: Надотряд: Hymenopterida Отряд: Подотряд: Инфраотряд: Proctotrupomorpha Надсемейство: Семейство: Подсемейство: Scelioninae Триба: Scelionini Род: Archaeoteleia |
||||||||||||
| Международное научное название | ||||||||||||
| Archaeoteleia Masner, 1968[1] | ||||||||||||
| Типовой вид | ||||||||||||
| ||||||||||||
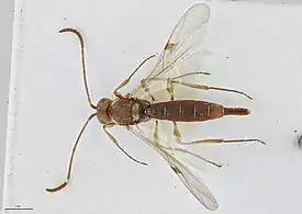
Описание
Длина 2,2—6,4 мм. Жёлтые и коричневые. Самки некоторых видов брахиптерные (короткокрылые), микроптерные или бескрылые, нелетающие. Нижнечелюстные щупики 5-члениковые; нижнегубные щупики состоят из 3 сегментов. Усики у обоих полов 12-члениковые. Формула члеников лапок: 5-5-5; формула шор ног: 1-2-2. Хозяева известны для двух видов: Archaeoteleia chambersi и Archaeoteleia novaezealandiae паразитируют на яйцах пещерных кузнечиков Gymnoplectron spp. (Прямокрылые: Rhaphidophoridae, Macropathinae)[2].
Систематика
Около 15 видов. Рассматриваются реликтами Гондваны. Род филогенетически ближе к родам Scelionini sensu lato, чем к плезиоморфным родам Nixonia Masner (Nixoniini), Sparasion Latreille и Sceliomorpha Ashmead (Sparasionini s. str.) или Neuroscelio Dodd (Gryonini) [2][3][4].
- Archaeoteleia araucana Masner, 1968 [1]
- Archaeoteleia astropulvis Talamas, 2017 (в честь Ziggy Stardust, Дэвид Боуи; «astropulvis» на латинском языке означает «stardust»)[5][6][7]
- Archaeoteleia chambersi Early, in Early, Masner & Johnson, 2007
- Archaeoteleia dispar Masner, in Early, Masner & Johnson, 2007
- Archaeoteleia gilbertae Early, in Early, Masner & Johnson, 2007
- Archaeoteleia gracilis Masner, 1968
- Archaeoteleia karere Early, in Early, Masner & Johnson, 2007
- Archaeoteleia mellea Masner, 1968
- Archaeoteleia novaezealandiae Masner, 1968
- Archaeoteleia onamata Early, in Early, Masner & Johnson, 2007
- Archaeoteleia penai Masner, in Early, Masner & Johnson, 2007
- Archaeoteleia puncticeps Masner, in Early, Masner & Johnson, 2007
- Archaeoteleia pygmea Masner, 1968
- Archaeoteleia robusta Masner, in Early, Masner & Johnson, 2007
- Archaeoteleia simulans Masner, in Early, Masner & Johnson, 2007
- Archaeoteleia submetallica Masner, in Early, Masner & Johnson, 2007
- Archaeoteleia waipoua Early, in Early, Masner & Johnson, 2007
- Другие виды
Примечания
- Masner, L. (1968). A new genus of Scelionidae (Hymenoptera) with austral disjunctive distribution. — New Zealand journal of science, 11: 652—663.
- Early, John W. (New Zealand), Lubomir Masner (Canada) & Norman F. Johnson. (2007). Revision of Archaeoteleia Masner (Hymenoptera: Platygastroidea, Scelionidae). — Zootaxa 1655: 1-48 (5 Dec. 2007) 16 plates; 19 references
- Austin, A.D. & Field, S.A. (1997) The ovipositor system of scelionid and platygastrid wasps (Hymenoptera: Platygastroidea): comparative morphology and phylogenetic implications. Invertebrate Taxonomy, 11, 1-87.
- Austin, A.D., Johnson, N.F. & Dowton, M. (2005) Systematics, evolution and biology of scelionid and platygastrid wasps. Annual Review of Entomology, 50, 553—582
- Elijah J. Talamas; Norman F. Johnson; Matthew L. Buffington; Dong Ren (2017). "Archaeoteleia Masner in the Cretaceous and a new species of Proteroscelio Brues (Hymenoptera, Platygastroidea)». Journal of Hymenoptera Research. 56: 241—261. doi:10.3897/jhr.56.10388.
- Ferreira, Becky This Freaky 100-Million-Year-Old Wasp Was Named for David Bowie. Vice (23 июня 2017). Дата обращения: 22 сентября 2017. Архивировано 23 сентября 2017 года.
- 'Star dust' wasp is a new extinct species named after David Bowie's alter ego. Science Daily (22 июня 2017). Дата обращения: 22 сентября 2017. Архивировано 23 сентября 2017 года.
Литература
- Chambers, F. Archaeoteleia novaezealandiae Masner (Hymenoptera, Scelionidae) // The Weta. — 1982. — Т. 5, № 2. — С. 44.
