Восточно-Индийский хребет
Восто́чно-Инди́йский хребе́т — подводный хребет в Индийском океане.
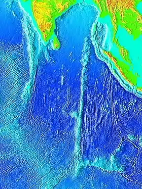
| Восточно-Индийский хребет | |
|---|---|
![]() | |
| Характеристики | |
| Длина | 5000 км |
| Минимальная глубина | 549 м |
| Расположение | |
| 3° ю. ш. 90° в. д. | |
| Океан | Индийский океан |
Хребет протягивается на 5000 км почти вдоль меридиана 90° восточной долготы[1], между 10° северной и 34° южной широты[2]. Хребет возвышается над ложем океана на 1000—2000 м. Глубины над хребтом составляют 2000—4000 м, наименьшая глубина — 549 м[1]. На склонах хребта преобладают фораминиферовые и радиоляриевые илы[2].
Примечания
- Восточно-Индийский хребет — статья из Современной энциклопедии (2000)
- Восточно-Индийский хребет // Большая советская энциклопедия : [в 30 т.] / гл. ред. А. М. Прохоров. — 3-е изд. — М. : Советская энциклопедия, 1969—1978.
This article is issued from Wikipedia. The text is licensed under Creative Commons - Attribution - Sharealike. Additional terms may apply for the media files.

