Большие Отары (Татарстан)
Большие Отары — старинное русское село, находившееся к юго-западу от Казани и прекратившее существование в 1957 году в результате попадания в зону затопления водами Куйбышевского водохранилища.
Территориальное расположение
Большие Отары находились примерно в 10—11 км к юго-западу от Казани, на так называемом Тетюшском торговом тракте, вблизи поймы реки Волги. Сейчас территория бывшего села частично затоплена водами Куйбышевского водохранилища, частично находится в прибрежной зоне и используется под садовые участки, расположенные к северу от устья протоки Подувалье.
Название
Ещё в XIX веке на территории Больших Отар существовало два близлежащих поселения — собственно Большие Отары и Дальние (или Задние) Отары. Со временем они срослись (об этом упоминает И. А. Износков[1]), став единым поселением, за которым к концу XIX века закрепилось название Большие Отары; также встречается вариант названия как Большие (Дальние) Отары[2] (в источниках XVI—XIX веков чаще всего используется написание Атары).
Этимология топонима Отары, по мнению историка Р. Г. Галлямова, восходит к названиям татарских селений периода Казанского ханства:
Писцовая книга Казанского уезда 1505—1568 гг. на юго-западных окрестностях города зафиксировала целых три деревни под названием «Атары» — Большие, Средние и Меньшие (Задние) Атары. Совершенно очевидно, что топоним «Атары» («Отары») происходит от татарского «утар», которое буквально понимается как «загороженное место».
В этой связи историк XIX в. И. А. Износков писал, что название «Отары» «происходит от слова отар (тат.) = загороженное место на пастбище, куда загоняют на ночь скот». Помимо того, термин можно трактовать и как усадьбу с надворными постройками. Примечательно, что в настоящее время на территории РТ имеется целый ряд сельских поселений с топонимом «Утар» («Отар») — с. Утар-Аты Арского района, селения Верхний и Нижний Отар (Югары, Тубән Утар) Сабинского района и др. В связи с изложенным становится очевидным, что современное официальное принятие написания и произношения названия городского посёлка Отары на татарском языке в форме «Отар» («Отар бистәсе») является ошибочным. Истинное татарское название данного поселка — «Утар» («Утар бистәсе»).— Галлямов Р. Г.[3]
Население
Вопрос определения численности населения в Больших Отарах применительно к дореволюционной эпохе осложняется путаницей в названиях, которые используются разными источниками в отношении данного населённого пункта, особенно, когда речь идёт о двух поселениях, объединившихся к концу XIX века в один. В опубликованных материалах IV ревизии (1781 год), где учитывалось исключительно мужское население, есть данные только в отношении Задних Отар[4]; при этом не ясно, идёт ли речь только об одном поселении или же под этим названием приведены совокупные данные в отношении обоих близлежащих поселений. Применительно к переписи населения 1897 года, напротив, указываются два поселения — деревня Большие Отары и село Большие Отары, хотя численность населения для них приводится совокупная[5]. В другом источнике с указанием населения на 1907 год указывается только одно поселение (очевидно, уже как единое) под названием Большие (Задние) Отары[2].
| Год | Общая численность | Численность мужчин | Численность женщин |
|---|---|---|---|
| 1781[4] | — | 135[6] | — |
| 1859[7] | 371 | 171 | 200 |
| 1885[1] | 95 74 | 146 82 | |
| 1897[5] | 376[10] | — | — |
| 1904[11] | 381 | 192 | 189 |
| 1907[2] | 431 | — | — |
| 1927[12] | 638 | — | — |
В этническом отношении Большие Отары всегда были русским поселением.
Административно-территориальная принадлежность
До 1920 года Большие Отары входили в состав Воскресенской волости Казанского уезда Казанской губернии, в 1920—1927 годах — в состав Воскресенской волости Арского кантона Татарской АССР.
С 1927 года Большие Отары находились в Казанском районе, с 1938 года — в Столбищенском районе (вплоть до ликвидации села в 1957 году).
- В некоторых публикациях утверждается, что Большие Отары в 1940 году были включены в городскую черту Казани[13]. Однако данное утверждение является ошибочным — Большие Отары никогда не входили в состав Казани, что подтверждает административная карта Татарской АССР 1957 года, где село является частью Столбищенского района[14] (указанная карта отражает административное деление Татарской АССР по состоянию на 20 марта 1957 года; на ней село Большие Отары указано как ещё существующее, хотя через несколько месяцев оно прекратит существование как попавшее, пусть и частично, в зону затопления водами Куйбышевского водохранилища).
С 1920-х годов до 1957 года Большие Отары являлись центром Больше-Отарского сельсовета. По состоянию на 1930 год территория данного сельсовета ограничивалась только Большими Отарами[12]. По состоянию на 1940 год в состав Больше-Отарского сельсовета входило шесть населённых пунктов: село Большие Отары, деревни Матюшино, Новое Победилово и Старое Победилово, посёлок Десять лет Октября, посёлок Столбищенского лесоучастка[15]. Тот же состав сельсовета был и в 1956 году[16].
История
Вопрос о времени возникновения Больших Отар остаётся открытым.
Некоторые татарские историки, опираясь на этимологию названия Отары (Атары, Утар), считают, что это поселение возникло в эпоху Казанского ханства (1438—1552)[3][17], хотя документальных и материальных подтверждений данному утверждению нет.
Историк XIX века И. А. Износков отмечает, что в Писцовой книге Казанского уезда 1565—1568 годов упоминается деревня Большие Атары, которая принадлежала воеводе князю Фёдору Ивановичу Троекурову[1]. Однако И. А. Износков прямо не утверждает, что троекуровское поместье и более позднее поселение Большие или Дальние (Задние) Отары — это один и тот же населённый пункт.
Современный татарский историк Р. И. Султанов, считающий, что Большие Отары возникли в ханский период (до 1552 года), предполагает, что изначально эта деревня была во владении хана, после взятия Казани стала дворцовой, а в 1566 году была передана в поместье князю Ф. И. Троекурову — в этот период в ней было 11 дворов, а среди её жителей упоминались Иванко Москвин и Богдашко Васильгородец[17]. При этом, в отличие от И. А. Износкова, он фактически отождествляет поместье Ф. И. Троекурова с селом Большие Отары, попавшим в 1957 году в зону затопления водами Куйбышевского водохранилища (Р. И. Султанов указывает местоположение троекуровского поместья в 11 км от Казани[17], что соответствует примерному расстоянию до города от затопленного села).
Однако, есть основания утверждать, что упомянутое в Писцовой книге Казанского уезда 1565—1568 годов поместье Ф. И. Троекурова Большие Атары и более позднее одноимённое село, прекратившее существование в 1957 году, это разные поселения. Троекуровские Большие Атары находились, согласно источнику, «на Долгом озерке, блиско озера Кабана»[18], что не соответствует географическому положению более поздних Больших Отар.
Вопрос идентификации и локализации населённых пунктов с названием Отары (Атары) имеет определённые сложности. Источники XVII века упоминают несколько таких поселений, находившихся к юго-западу от Казани. Эти поселения упоминаются с привязкой к тем или иным озёрам, названия которых с течением времени, очевидно, изменились, как и гидрографическое состояние самой местности. Так, в Писцовой книге Казанского уезда 1647—1656 годов применительно к юго-западу от Казани упоминаются три поселения, в названиях которых присутствует топоним Атары: деревня Атары Задние на Глухом озере, деревня Середние Атары на Долгом озере и деревня Поповка на озере на Неточном, а Большие Атары то ж[19].
Из всех трёх поселений именно Атары Задние на Глухом озере — это те самые Большие Отары, возникшие путём объединения двух близлежащих поселений. Р. И. Султанов упоминает, что «в переписных казанских книгах письма и дозору Тимофея Бутурлина и подьячего Алексея Грибоедова (1646 г.) указаны две деревни Задних Атар: в одной 45 крестьянских и бобыльских дворов, живущих 120 человек, в другой — 27 дворов бобыльских, людей 79 человек»[20]. На французской карте окрестностей Казани 1729 года на месте расположения Больших Отар указано поселение Zadniatary[21]. Что касается Глухого озера, то оно, вероятно, в более поздние времена было известно как Егорово[1] или Егорьевское озеро[22].
Впервые в письменных источниках Задние Атары на озере на Глухом упоминаются в описи 1603 года как деревня дворцового села Царицыно[1]. В ней тогда насчитывалось девять дворов пашенных крестьян и три двора сидевших на оброке[23].

В Писцовой книге Казанского уезда 1647—1656 годов описаны земельные угодья, принадлежавшие жителям деревни Атары Задние на Глухом озере.
Деревня Атары Задние на Глухом озере. Пашни крестьянские мерою восмь длинников, одиннатцать поперечников, итого восмьдесят восмь десятин в поле, а в дву по тому ж; да лесные розчисти в розных местех десять десятин в поле, а в дву по тому ж. Тое ж деревни Атар Задних подле речки Ички Казани выпуску животинного полторы десятины. Тое ж деревни сенных покосов под деревнею в лугу по речке Ички Казани в межах меж озера, что впало в речку Ички Казань, и по конец речки Ички Казани мерою три длинника, шесть поперечников, итого осмнатцать десятин. В другом месте подле речки Ички ж Казань от победиловских покосов до Соляные Волошки мерою шесть длинников, полтретья поперечника, итого пятнатцать десятин. В третьем месте тое ж деревни от животинного выпуску к Соляной Волошке до Балымова Починка мерою десять длинников, один поперечник, итого десять десятин. В четвертом месте от Балымова Починка до Глухой Волошки полтора длинника, полпоперечника, итого десятина без чети. Toe ж деревни отхожих сенных покосов на реке на Волге на Жерновном острову, от озера Долгово к реке Волге меж сенных покосов казанских ямских охотников и меж деревни Победиловы мерою три длинника, два поперечника, итого шесть десятин. И всего деревни Атар Задних сенных покосов в розных местех пятьдесят десятин без чети десятины.
— Писцовая книга Казанского уезда 1647—1656 годов[19]
В материалах IV ревизии (1781 год) Задние Отары упоминаются как деревня, населённая дворцовыми крестьянами общим числом 135 мужских душ[4].
В XIX веке в картографических материалах деревня Задние Отары стала обозначаться как Большие Отары[24][25][26][27], хотя фактически это были два поселения — Задние (или Дальние) Отары и собственно Большие Отары.
Обе деревни под общим названием Большие Отары значились в составе прихода села Воскресенское[1]. Расстояние до Казани составляло 12 вёрст[7], до приходской церкви и волостного правления в селе Воскресенском — 8 вёрст[1].
В 1859 году в деревне Большие Отары был 41 двор[7], в 1885 году — 60 дворов в Больших Отарах и 30 дворов в Задних (Дальних) Отарах[1], в 1904 году — 70 дворов[11].
Разделение на два поселения, сохранявшееся, вероятно, до конца XIX века, имеет историческое основание.
Задние (Дальние) Отары — это меньшее поселение, жители которого являлись бывшими дворцовыми (удельными) крестьянами общим числом 156 человек (1885), в том числе 10 человек раскольников-поповцев. Они составляли самостоятельное 1-е Больше-Отарское сельское общество[1].
Большие Отары — это бо́льшее поселение, жители которого являлись бывшими помещичьими крестьянами общим числом 241 человек (1885), в том числе 63 раскольников-беспоповцев поморского согласия. Они составляли отдельное 2-е Больше-Отарское сельское общество[1].


И. А. Износков отмечает, что жители Больших Отар имели земельный надел в 337,5 десятин, купленный в 1874 году у статского советника Христофора Ивановича Нейкова[1]. При этом он не уточняет, принадлежала ли эта земля только 2-му Больше-Отарскому сельскому обществу или это был совместный земельный надел двух обществ.
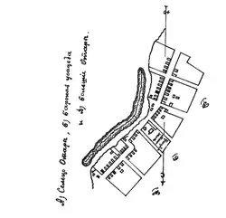
Оба поселения располагались вплотную друг к другу, выстроившись одно за другим вдоль единственной общей улицы в направлении с северо-востока на юго-запад. С северо-восточной стороны находилась бывшая удельная деревня Большие Отары. С юго-западной стороны находилась бывшая помещичья деревня Задние (Дальние) Отары, известная также как сельцо Отары или Большие Отары. Между ними, то есть в центре общего поселения, располагалась помещичья усадьба, владельцем которой был помещик Манжос.
В ХХ веке в Больших Отарах появилась своя каменная церковь, которая, по воспоминаниям, «находилась в центре села»[28], то есть между обоими поселениями и, вероятно, рядом с помещичьей усадьбой. Время строительства церкви неизвестно, но, согласно епархиальным справочникам, в начале 1900-х годов Большие Отары ещё входили в состав Воскресенского прихода[11]. По тем же воспоминаниям, престольный праздник был в Петров день (в советское время здание церкви использовалось под школу)[28].
В 1892 году во время эпидемии холеры несколько жителей Больших Отар заразилось данным инфекционным заболеванием. Обследовавший поселение врач Казанского уездного земства Алексей Сухарев дал следующее ему описание:
Сельцо Большие Отары расположено недалеко от левого берега Волги, месте невысоком с песчаным грунтом, верстах в 4-х от Ташёвского перевоза через Волгу. В селении 33 двора, жителей 203 человека (мужчин 89, женщин 114), некоторые придерживаются раскола. Занимаются хлебопашеством, сбытом дров и рыбным промыслом; торговля сеном доставляет им хороший заработок. Около селения есть довольно значительные озёра и воложки, деревня же стоит над озером Егорьевским; колодцев здесь 4: 2 бадейных и 2 с помпой.
— Сухарев А. А.[22]
Упомянутый А. А. Сухаревым Ташёвский перевоз — это переправа через Волгу на Тетюшском торговом тракте, которая располагалась к юго-западу от Больших Отар (на карте Казанского уезда 1910 года показана дорога, идущая в этом направлении и упирающаяся в Волгу[29]), напротив правобережного села Ташёвка.
В годы Гражданской войны Большие Отары оказались в сводке военных новостей. 6 августа 1918 года у этого села высадился десант частей Народной армии Комуча во главе с подполковником Владимиром Каппелем. После высадки у Больших Отар каппелевцы двинулись в сторону Казани, приняв участие в боях по захвату города, который оборонялся большевиками[30].
В 1930-е годы в селе Большие Отары был создан колхоз. По состоянию на 1956 год он носил имя Клима Ворошилова[31] (вероятно, имя маршала колхозу было присвоено с момента его организации).
В 1950 году в районе Жигулей началось строительство Куйбышевской ГЭС, образовавшей через 7 лет обширное Куйбышевское водохранилище. В 1953 году в преддверии подъёма уровня воды в Волге в районе Казани начались работы по строительству нового речного порта и возведению системы инженерной защиты города, в том числе многокилометровых дамб, дренажных каналов и насосных станций[32][33]. Обширные пойменные пространства Волги и прилегающая к ним полоса попадали в зону затопления, в том числе многие населённые пункты, среди которых и село Большие Отары. В 1956 году началось заполнение Куйбышевского водохранилища, а в 1957 году большая вода подошла к району Казани. Жителей Больших Отар переселили на новое место, большая часть из них получила участки под застройку в новом посёлке (примерно в 6 км к северо-востоку от старого села), получившем название Новые Отары[28].
См. также
Примечания
- Воскресенская волость // Список населённых мест Казанского уезда, с кратким их описанием / сост. И. А. Износков. — Казань, 1885. — С. 10—11. — 218 с.
- Выпуск 1: Казанский уезд. Приложение к 4-х-вёрстной карте того же уезда // Список селений Казанской губернии. — Казань: Издание Оценочно-Статистического Бюро Казанского Губернского Земства, 1910. — С. 21. — 32 с.
- Галлямов Р. Топонимия современной Казани эпохи Казанского ханства: вопросы интерпретации, правописания и произношения на татарском и русском языках // Учёные записки. Татарский государственный гуманитарный институт : журнал. — Казань, 2003. — Вып. 11. — С. 104—106.
- Корсаков Д. А. Сборник материалов по истории Казанского края в XVIII в.. — Казань: Университетская Типография, 1908. — С. 169. — 367 с.
- Список селений Казанской губернии / сост. К. П. Берстель. — Казань: Издание Казанской Губернской Земской Управы, 1908. — С. 8. — 263 с.
- Указана численность мужского населения (дворцовых крестьян) деревни Задние Отары.
- Казанская губерния: ... по сведениям 1859 года // Списки населённых мест Российской империи, составленные и издаваемые Центральным статистическим комитетом Министерства внутренних дел / обраб. А. Артемьевым. — Санкт-Петербург: Издание Центр. стат. ком. Мин. внутр. дел, 1866. — Т. 14. — С. 9. — LXXIX с., 237 с., 1. л. к. с.
- Указана численность населения деревни Большие Отары.
- Указана численность населения деревни Задние Отары.
- Указана общая численность населения для двух населённых пунктов — деревни Большие Отары и села Большие Отары.
- Справочная книга Казанской епархии. — Казань: Издание Казанской Духовной Консистории, 1904. — С. 58—59. — 798 с., XХIX с.
- Списки сельсоветов и населённых пунктов по районам ТАССР. — Казань: Гос. Плановая Комиссия; Стат. сектор, 1930. — С. 29. — 160 с.
- Шайдуллин Р. В., Сибгатов Б. И., Сахавова Л. М. Исчезнувшие населённые пункты Республики Татарстан: справочник / под ред. Р. В. Шайдуллина. — Казань: Институт татарской энциклопедии и регионоведения, 2016. — С. 36. — 307 с. — ISBN 978-5-902375-13-5.
- Административная карта Татарской АССР 1957 года. ЭтоМесто.ru. Дата обращения: 7 февраля 2022.
- Татарская АССР: административно-территориальное деление на 1 июня 1940 г. / сост. Б. Абдуллин. — Казань: Татгосиздат, 1940. — С. 117. — 204 с.
- Татарская АССР: административно-территориальное деление на 1 января 1956 г. / сост. Б. М. Еникеев. — Казань: Таткнигоиздат, 1956. — С. 267. — 464 с. — 6000 экз.
- Султанов Р. И. Историческая география Казани (город и его предместья в XVI—XVII веках). — Казань: Магариф, 2004. — С. 122. — 271 с. — 3000 экз. — ISBN 5-7761-1377-6.
- Султанов Р. И. Историческая география Казани (город и его предместья в XVI—XVII веках). — Казань: Магариф, 2004. — С. 210. — 271 с. — 3000 экз. — ISBN 5-7761-1377-6.
- Писцовая книга Казанского уезда 1647—1656 годов : Публикация текста. — Москва: Институт Российской истории РАН, 2001. — 541 с.
- Султанов Р. И. Историческая география Казани (город и его предместья в XVI—XVII веках). — Казань: Магариф, 2004. — С. 211. — 271 с. — 3000 экз. — ISBN 5-7761-1377-6.
- Французская карта окрестностей Казани 1729 года. ЭтоМесто.ru. Дата обращения: 7 февраля 2022.
- Сухарев А. Холера 1892 года в 1-м медицинской участке Казанского уезда, и некоторые сравнительные данные эпидемии 1892 г. с эпидемией 1871 года в Казанском уезде. (С планами 5 деревень). — Казань: Типография Императорского Университета, 1893. — С. 13. — 26 с.
- 1599—1600: Перепись Дворцовых сёл Казанского уезда: дворцовое село Царицыно. zz-project.ru — Исторические документы Перми Великой. Дата обращения: 15 февраля 2022.
- Геогностическая карта Казанской губернии Вагнера 1855 года. ЭтоМесто.ru. Дата обращения: 7 февраля 2022.
- Казанская губерния в атласе Ильина 1871 года. ЭтоМесто.ru. Дата обращения: 7 февраля 2022.
- Военно-Топографическая карта Казанской губернии 1880 года. ЭтоМесто.ru. Дата обращения: 7 февраля 2022.
- Карта Казанского уезда 1882 года. ЭтоМесто.ru. Дата обращения: 7 февраля 2022.
- Подольская М. Георгиевские кавалеры из Отар // Казань : журнал. — 2017. — Октябрь (№ 10). — С. 56—65.
- Карта Казанского уезда Казанской губернии 1910 года. ЭтоМесто.ru. Дата обращения: 7 февраля 2022.
- Мухарямов М. К. Гражданская война в Татарии (1918—1919 гг.). — Казань: Татарское книжное издательство, 1969. — С. 38. — 300 с.
- Татарская АССР: административно-территориальное деление на 1 января 1956 г. / сост. Б. М. Еникеев. — Казань: Таткнигоиздат, 1956. — С. 431. — 464 с. — 6000 экз.
- Калинин Н. Ф. Казань. Исторический очерк. — Казань: Татарское книжное издательство, 1955. — С. 354—358. — 454 с.
- Тунаков П. Д. Казань сегодня и завтра / под ред. Э. А. Вагапова. — Казань: Татарское книжное издательство, 1961. — С. 6—9. — 60 с.
Ссылки
- Подольская М. Георгиевские кавалеры из Отар // Казань : журнал. — 2017. — Октябрь (№ 10). — С. 56—65.